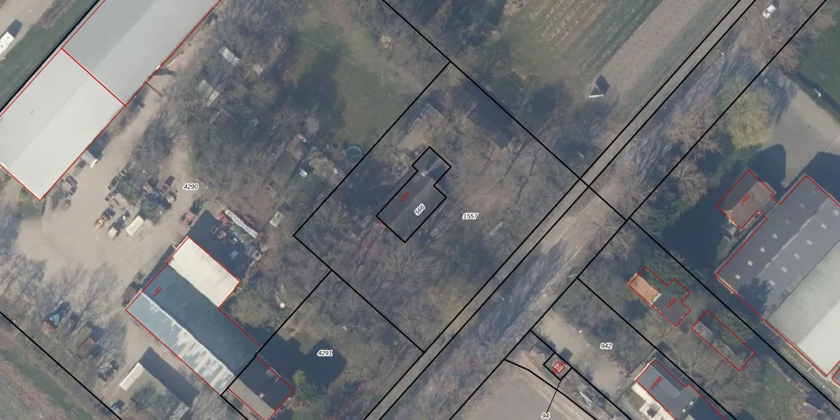
Perceel: HLM03-AE-566

Adres bij perceel

Perceeloppervlakte & perceelomtrek

178 m2 - 64 m

Eigenaar van het perceel

Eigenaar opvragen

Kadastrale aanduiding

HLM03-AE-566 (Haarlemmermeer)

Postcode in perceel

    2152 NB

Type eigenaar

c C LETKjUHqsS4ja6ojOUpgrade naar KadastraleKaart Pro

Woning verkocht in 2000

Verkoopprijs opvragen

Google Street View

Bekijk op Street View

Download

Download DWG/DXF/Excel

Gerelateerde percelen

WDOkEze RUpgrade naar KadastraleKaart Pro

Bebouwd/onbebouwd/water/groen

jE5QOcSjHFrCD2Q 0n6 3Upgrade naar KadastraleKaart Pro
Administratieve eenheden
OE8fwCHmUvvIrVqln6SMRGrUpgrade naar KadastraleKaart Pro

Appartementsrechten

jiQe xK owvaz60hS1 Upgrade naar KadastraleKaart Pro

Vergunningverlenende instanties

pz7m434Upgrade naar KadastraleKaart Pro

Bedekking (BGT)

ioBH2DGKjRjKoQVQuv3Upgrade naar KadastraleKaart Pro

Publiekrechtelijke beperkingen

ryTK PAz dMZ z2h0Upgrade naar KadastraleKaart Pro

Grensnauwkeurigheid

g0dki qL7Z zygUpgrade naar KadastraleKaart Pro

Coördinaten hoekpunten perceel

0gsECJnjcXQUpgrade naar KadastraleKaart Pro

Hoogteligging

SJmEc XRTZVuk pi1Upgrade naar KadastraleKaart Pro

Laatst gewijzigd

02/08/2001

Kadastrale kaart met maatvoering 59,95
Kadastrale kaart pakket 28,95

Percelen

Gebruik de zoekbalk of klik op een perceel om informatie over het perceel te bekijken.
Locatie
Meten
Lagen
Download