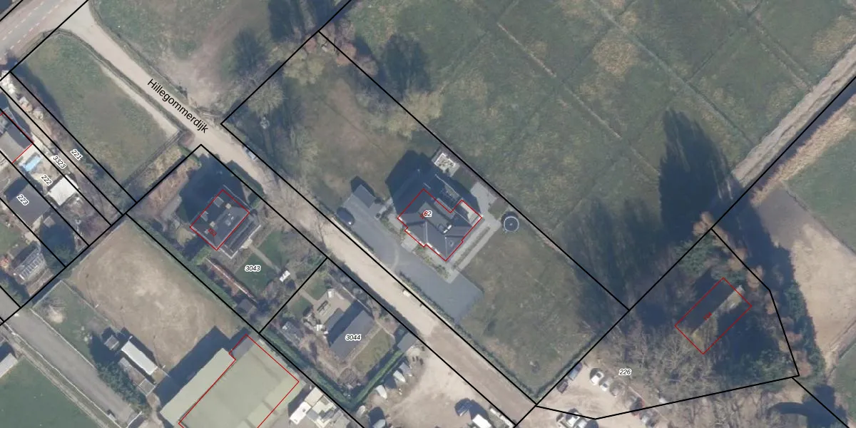
Perceel: HLM03-AF-62

Adres bij perceel

Perceeloppervlakte & perceelomtrek

3.022 m2 - 259 m

Eigenaar van het perceel

Eigenaar opvragen

Kadastrale aanduiding

HLM03-AF-62 (Haarlemmermeer)

Postcode in perceel

    2165 AR

Type eigenaar

7ANPgK9mR tFWj FyUpgrade naar KadastraleKaart Pro

Google Street View

Bekijk op Street View

Download

Download DWG/DXF/Excel

Gerelateerde percelen

kiSTiQCTZBYbgziO7SUpgrade naar KadastraleKaart Pro

Bebouwd/onbebouwd/water/groen

K OMsQ8yBKA e8XSjU9RUpgrade naar KadastraleKaart Pro
Administratieve eenheden
Rr EHJpIs3SD0fg3RiYEUpgrade naar KadastraleKaart Pro

Appartementsrechten

275sSVb HTUpgrade naar KadastraleKaart Pro

Vergunningverlenende instanties

deOxOrkVR CKeJf dUpgrade naar KadastraleKaart Pro

Bedekking (BGT)

CDlgJ6yqOYjCNUpgrade naar KadastraleKaart Pro

Publiekrechtelijke beperkingen

Y40c Yb 8qmUpgrade naar KadastraleKaart Pro

Grensnauwkeurigheid

FyYFKnJm2wG8LV9STtUpgrade naar KadastraleKaart Pro

Coördinaten hoekpunten perceel

hkOOL5UXWUpgrade naar KadastraleKaart Pro

Hoogteligging

2KiLFT5tK2FfPUpgrade naar KadastraleKaart Pro

Laatst gewijzigd

17/03/2006

Kadastrale kaart met maatvoering 59,95
Kadastrale kaart pakket 28,95

Percelen

Gebruik de zoekbalk of klik op een perceel om informatie over het perceel te bekijken.
Locatie
Meten
Lagen
Download