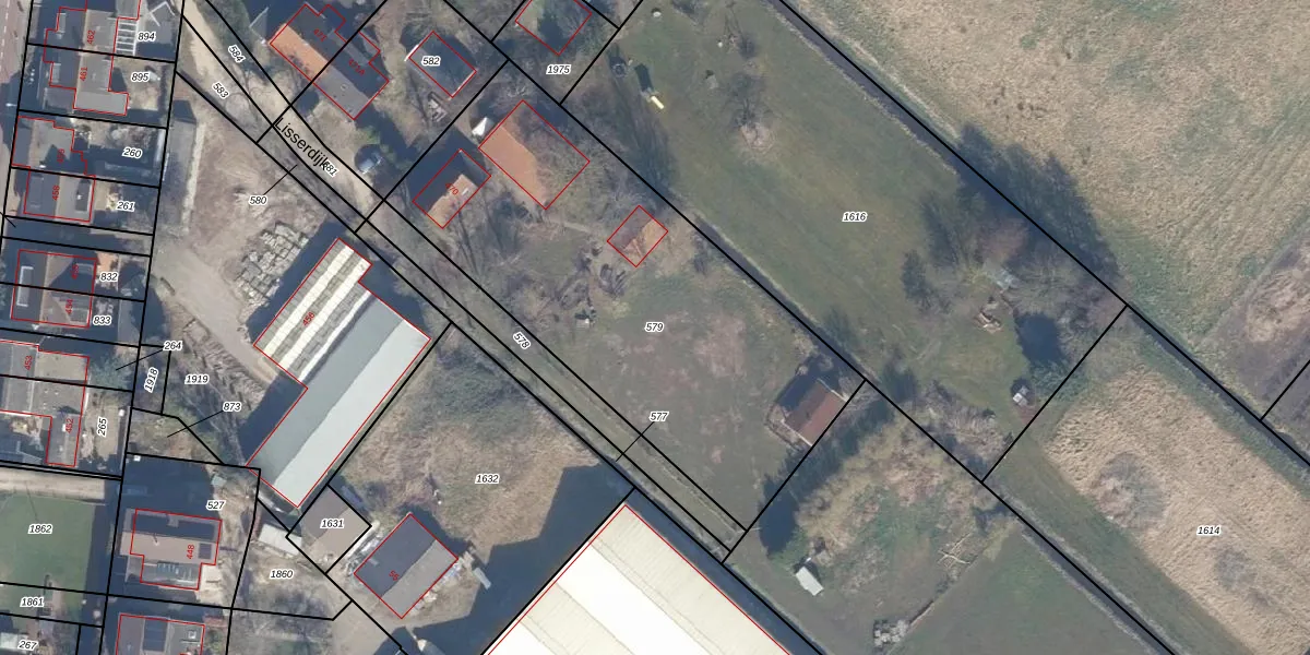
Perceel: HLM03-AG-579
KadastraleKaart.com kan meer dan je denktOntdek meer ›
Filter op bestemming 50+ datasets Eigendomsdata in één klik Percelen CRM
2.180 m2 - 206 m
Eigenaar opvragen
HLM03-AG-579 (Haarlemmermeer)
- 2165 AH
Bm4 PpRi25EkhaQ QuQI VjgbmUpgrade naar KadastraleKaart Pro
Verkoopprijs opvragen
Bekijk op Street View
Download DWG/DXF/Excel
potw V6HXf7xfYNDUpgrade naar KadastraleKaart Pro
9NqL AwvKMGiA Ic 5rVXUpgrade naar KadastraleKaart Pro
5sxw q93UotEcjEJHUpgrade naar KadastraleKaart Pro
NLtwt fTUpgrade naar KadastraleKaart Pro
SpYm0DFaRkZjrjUpgrade naar KadastraleKaart Pro
xSWaF7qlCknK9Upgrade naar KadastraleKaart Pro
AzJlIE xX6pFaV Upgrade naar KadastraleKaart Pro
Uo AN x phmI2 BMPtUpgrade naar KadastraleKaart Pro
UiDIYmr DxZzuJpt Upgrade naar KadastraleKaart Pro
15sDV0OGUpgrade naar KadastraleKaart Pro
20/01/2017

Percelen
Gebruik de zoekbalk of klik op een perceel om informatie over het perceel te bekijken.