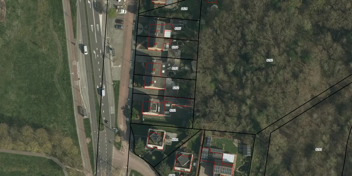
Perceel: HLN01-B-6252
KadastraleKaart.com kan meer dan je denktOntdek meer ›
Filter op bestemming 50+ datasets Eigendomsdata in één klik Percelen CRM
387 m2 - 92 m
Eigenaar opvragen
HLN01-B-6252 (Heerlen)
- 6414 AT
6RKOB4WlKxn0tOJ9C 4wUpgrade naar KadastraleKaart Pro
Bekijk op Street View
Download DWG/DXF/Excel
MN eVKi3xYoibTUpgrade naar KadastraleKaart Pro
HpJSdy0 Upgrade naar KadastraleKaart Pro
DMVFiMBSeUpgrade naar KadastraleKaart Pro
ukCtuA6CeLOUpgrade naar KadastraleKaart Pro
wndMJXlOCm itUpgrade naar KadastraleKaart Pro
sX2D E0KwJEYQ7hYaUpgrade naar KadastraleKaart Pro
RgUWtx2go iUpgrade naar KadastraleKaart Pro
bg9f7cPrpf wYWa7zVnjy Upgrade naar KadastraleKaart Pro
S gsOmvVMhWUpgrade naar KadastraleKaart Pro
C eatiMG2TY2hUpgrade naar KadastraleKaart Pro
07/04/2009

Percelen
Gebruik de zoekbalk of klik op een perceel om informatie over het perceel te bekijken.