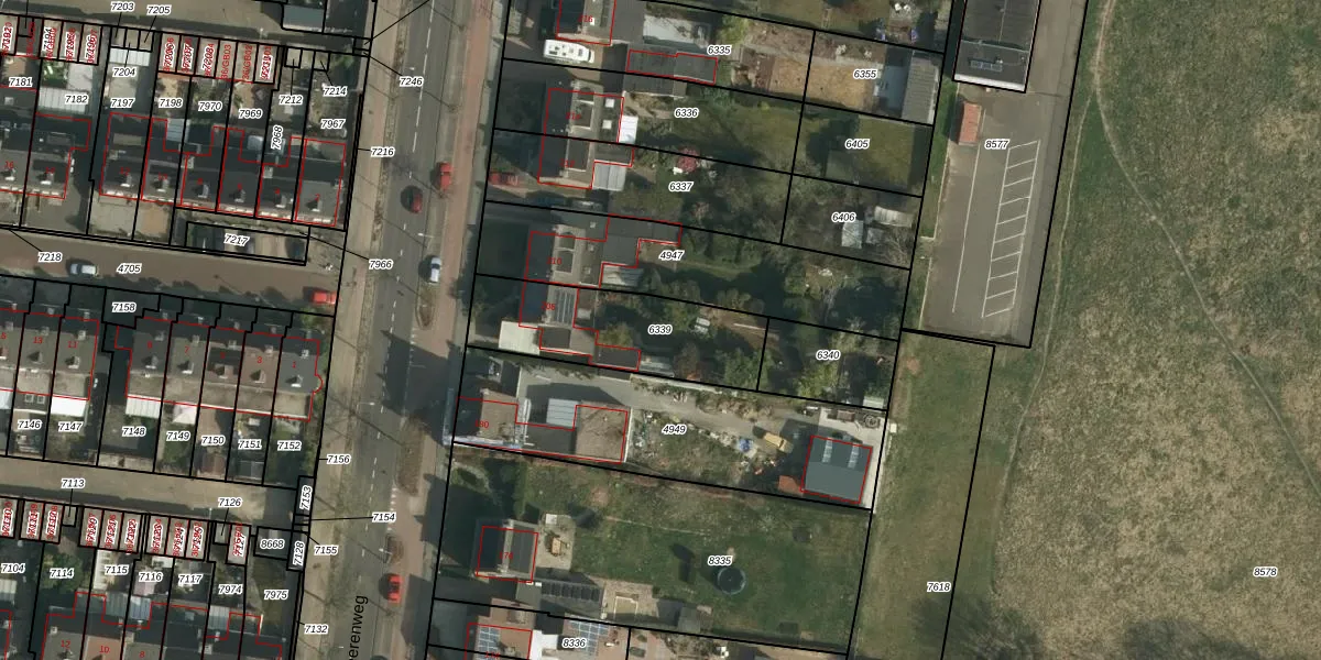
Perceel: HLN01-B-6339
KadastraleKaart.com kan meer dan je denktOntdek meer ›
Filter op bestemming 50+ datasets Eigendomsdata in één klik Percelen CRM
530 m2 - 112 m
Eigenaar opvragen
HLN01-B-6339 (Heerlen)
- 6414 AS
eiE4b4JCqivB69vM94Upgrade naar KadastraleKaart Pro
Bekijk op Street View
Download DWG/DXF/Excel
o4kfkAPaw C prMR RSyUpgrade naar KadastraleKaart Pro
VfJCaXavUpgrade naar KadastraleKaart Pro
2sN7uDySwUzPUpgrade naar KadastraleKaart Pro
2P98c7WgsUpgrade naar KadastraleKaart Pro
cWGdUgQVfWiWviJ9NUpgrade naar KadastraleKaart Pro
qaAMIMDZ yCPUpgrade naar KadastraleKaart Pro
J8b0mo AW1nxaUpgrade naar KadastraleKaart Pro
MINLmHb9Gd7iUpgrade naar KadastraleKaart Pro
S1 LG6q6JSajAUpgrade naar KadastraleKaart Pro
26w qh4oVUpgrade naar KadastraleKaart Pro
07/04/2009

Percelen
Gebruik de zoekbalk of klik op een perceel om informatie over het perceel te bekijken.