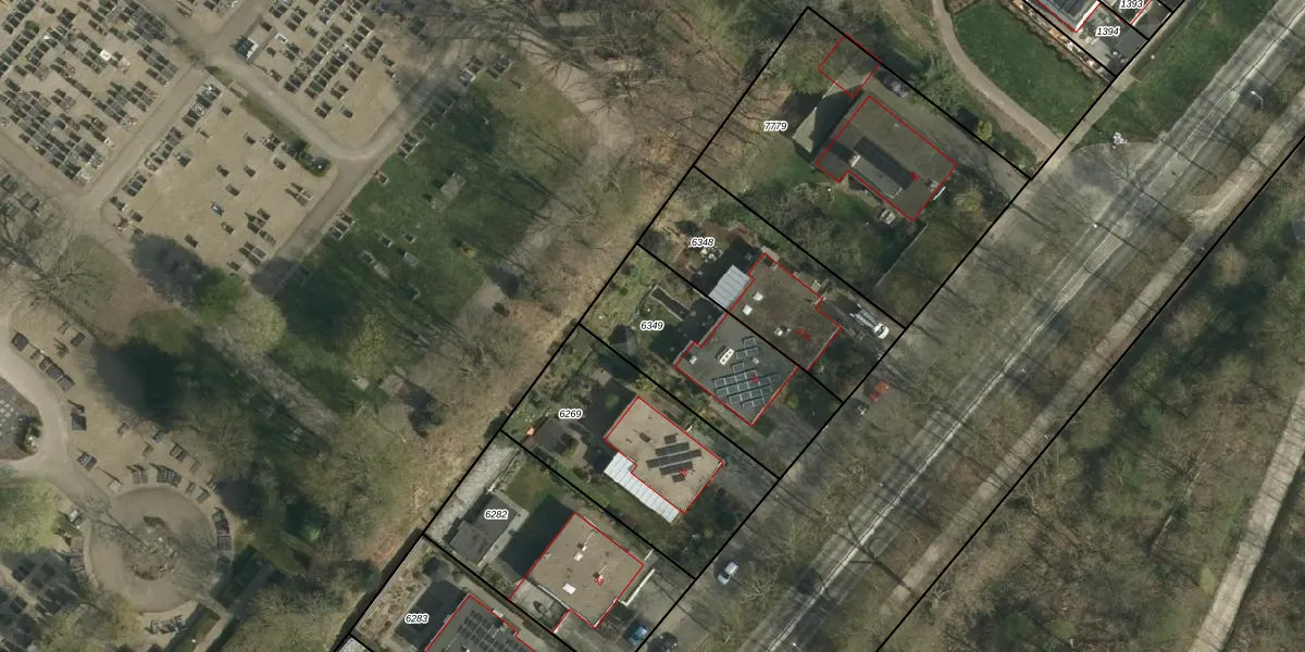
Perceel: HLN01-B-6349
KadastraleKaart.com kan meer dan je denktOntdek meer ›
Filter op bestemming 50+ datasets Eigendomsdata in één klik Percelen CRM
600 m2 - 110 m
Eigenaar opvragen
HLN01-B-6349 (Heerlen)
- 6413 CT
hXDGM5gYA1FdS6n Upgrade naar KadastraleKaart Pro
Verkoopprijs opvragen
Bekijk op Street View
Download DWG/DXF/Excel
FCY1qpSfii8u8qxUpgrade naar KadastraleKaart Pro
cg HXb7AaTkxTV0rG96Upgrade naar KadastraleKaart Pro
uagev iso61cPfUpgrade naar KadastraleKaart Pro
AsGJC hn4SYpAUpgrade naar KadastraleKaart Pro
ZNaCdtw1 WIS3Upgrade naar KadastraleKaart Pro
ES gy57Y7P3OqCGwVuC8SUpgrade naar KadastraleKaart Pro
wPfQ QWsEdt Upgrade naar KadastraleKaart Pro
3UdLmEaSKQgk jQUVyoCUpgrade naar KadastraleKaart Pro
qp JV5Np U O8Upgrade naar KadastraleKaart Pro
eIylvbJ08D qUpgrade naar KadastraleKaart Pro
29/08/2003

Percelen
Gebruik de zoekbalk of klik op een perceel om informatie over het perceel te bekijken.