Perceel: HLN01-B-6422
KadastraleKaart.com kan meer dan je denktOntdek meer ›
Filter op bestemming 50+ datasets Eigendomsdata in één klik Percelen CRM
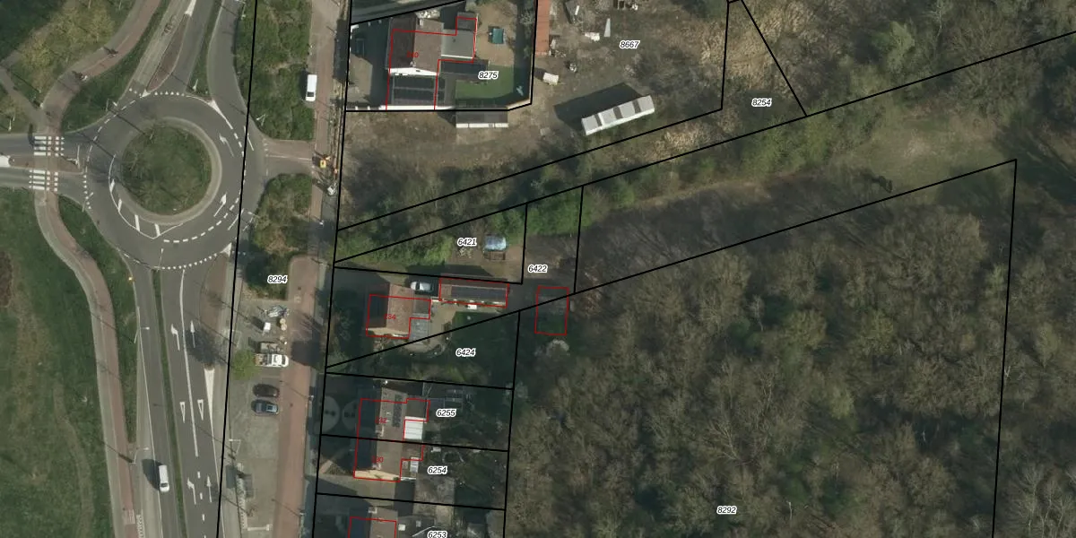
615 m2 - 148 m
Eigenaar opvragen
HLN01-B-6422 (Heerlen)
- 6414 AT
529GDsGsiXyBq2BtKrW vh0RJdUpgrade naar KadastraleKaart Pro
Verkoopprijs opvragen
Bekijk op Street View
Download DWG/DXF/Excel
pmgj08d0gbPkXd1HqtiPyy6Upgrade naar KadastraleKaart Pro
IA956WuidlI6KX2JdUpgrade naar KadastraleKaart Pro
klvXsOFvg1 Upgrade naar KadastraleKaart Pro
6HDo iksZ p5f83fUpgrade naar KadastraleKaart Pro
MXIgJ0joS8Upgrade naar KadastraleKaart Pro
p4Bjy9yd xdoxiu CziXdzAUpgrade naar KadastraleKaart Pro
hNtLG2C pvJSfDikUpgrade naar KadastraleKaart Pro
EakXUUCUOvHF4 3LMb fcUpgrade naar KadastraleKaart Pro
V n RqPmeLPq9cw RUpgrade naar KadastraleKaart Pro
fCV1c WFbKkxOsLddlvHkUpgrade naar KadastraleKaart Pro
07/04/2009

Percelen
Gebruik de zoekbalk of klik op een perceel om informatie over het perceel te bekijken.