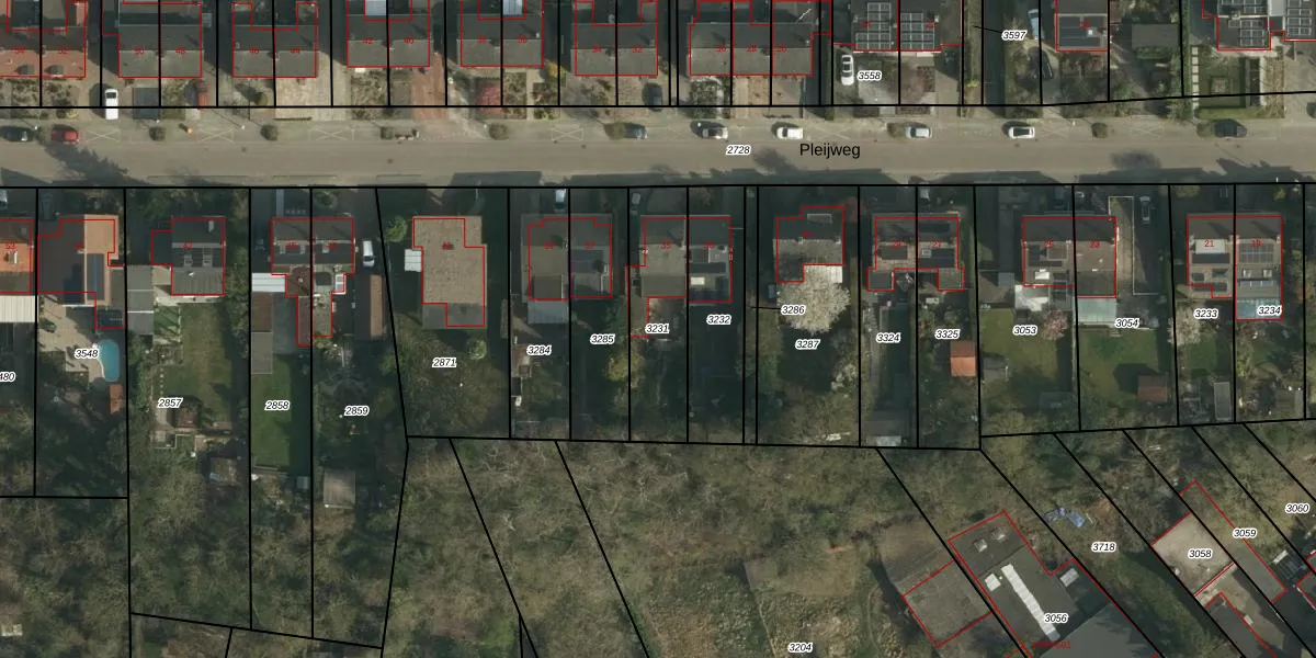
Perceel: HLN01-N-3231
KadastraleKaart.com kan meer dan je denktOntdek meer ›
Filter op bestemming 50+ datasets Eigendomsdata in één klik Percelen CRM
355 m2 - 96 m
Eigenaar opvragen
HLN01-N-3231 (Heerlen)
- 6415 RE
uKXgs6WbTXtM8JMINzFYxqUpgrade naar KadastraleKaart Pro
Verkoopprijs opvragen
Bekijk op Street View
Download DWG/DXF/Excel
rP6 B4X8YOcLigUpgrade naar KadastraleKaart Pro
chEI5RS0ULF4 tNUUpgrade naar KadastraleKaart Pro
CcDSLytAhqn3NcxQdJPq047Upgrade naar KadastraleKaart Pro
OqJ6qIfe wRL UuCu6VwaUpgrade naar KadastraleKaart Pro
W04ah93Yl9xUpgrade naar KadastraleKaart Pro
ms sAmNOADn0zDXE v4Q6uUpgrade naar KadastraleKaart Pro
9IqA8wcIUpgrade naar KadastraleKaart Pro
7xDotNz e9sIJt1 8NR9FaIUpgrade naar KadastraleKaart Pro
OYxHLLMHwhAue0 Upgrade naar KadastraleKaart Pro
exW6ai0xycUpgrade naar KadastraleKaart Pro
16/06/2009

Percelen
Gebruik de zoekbalk of klik op een perceel om informatie over het perceel te bekijken.