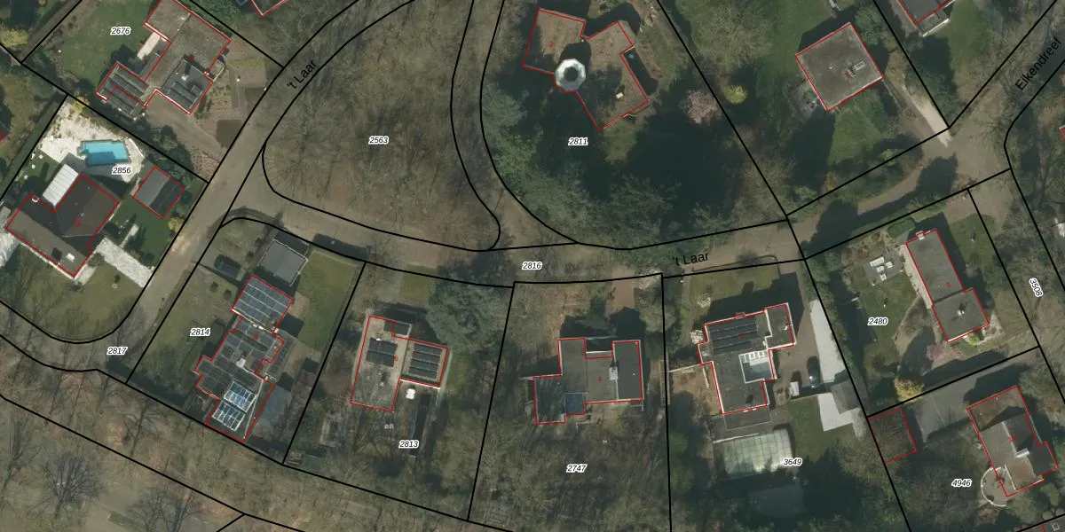
Perceel: HLN02-A-2816
KadastraleKaart.com kan meer dan je denktOntdek meer ›
Filter op bestemming 50+ datasets Eigendomsdata in één klik Percelen CRM
Geen adressen bij dit perceel
660 m2 - 250 m
Eigenaar opvragen
HLN02-A-2816 (Haelen)
- Geen postcode aanwezig
6VI 6bKBtJd9Olz7Upgrade naar KadastraleKaart Pro
Bekijk op Street View
Download DWG/DXF/Excel
LqLetVhoOaPKap7B4oFTmICUpgrade naar KadastraleKaart Pro
apnE 9nU2OcdkccgrJjxI14Upgrade naar KadastraleKaart Pro
ME05YVbaX68QNUpgrade naar KadastraleKaart Pro
zUFLqLlI1AB240Upgrade naar KadastraleKaart Pro
AG Ph ib l6 uP3D ULUpgrade naar KadastraleKaart Pro
ekXLAefGtgRrUpgrade naar KadastraleKaart Pro
urgmb0vQIN3C7cUpgrade naar KadastraleKaart Pro
GpfHbnFIdvq5g8upUpgrade naar KadastraleKaart Pro
I4 sAzB hMUpgrade naar KadastraleKaart Pro
K7ZMxvLf TsUpgrade naar KadastraleKaart Pro
24/11/2006

Percelen
Gebruik de zoekbalk of klik op een perceel om informatie over het perceel te bekijken.