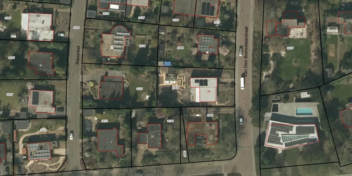
Perceel: HLN02-A-2858
KadastraleKaart.com kan meer dan je denktOntdek meer ›
Filter op bestemming 50+ datasets Eigendomsdata in één klik Percelen CRM
980 m2 - 133 m
Eigenaar opvragen
HLN02-A-2858 (Haelen)
- 6081 BR
yTxcQcYrmjOcWHP8hV SHmJAk6Upgrade naar KadastraleKaart Pro
Verkoopprijs opvragen
Bekijk op Street View
Download DWG/DXF/Excel
HDEMrcEMUpgrade naar KadastraleKaart Pro
stmjUzb Gav3arx Upgrade naar KadastraleKaart Pro
xUVCEi7EzUpgrade naar KadastraleKaart Pro
ZvSsMgR Upgrade naar KadastraleKaart Pro
Airt8 TRNPKGTU55CWOcT8Upgrade naar KadastraleKaart Pro
X1eojyagd3r0Elx7MkgzUpgrade naar KadastraleKaart Pro
AFu4ITPSUpgrade naar KadastraleKaart Pro
GgvMV7BbUVqo R Upgrade naar KadastraleKaart Pro
DT2FO yM0mX PuT BUpgrade naar KadastraleKaart Pro
Yij8k kAlUpgrade naar KadastraleKaart Pro
24/11/2006

Percelen
Gebruik de zoekbalk of klik op een perceel om informatie over het perceel te bekijken.