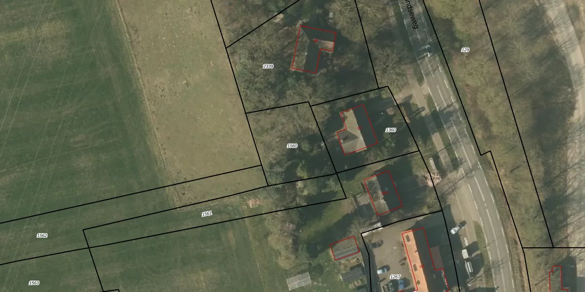
Perceel: HLN02-B-1560
KadastraleKaart.com kan meer dan je denktOntdek meer ›
Filter op bestemming 50+ datasets Eigendomsdata in één klik Percelen CRM
Geen adressen bij dit perceel
560 m2 - 98 m
Eigenaar opvragen
HLN02-B-1560 (Haelen)
- Geen postcode aanwezig
rWTKNx96X8bMI0vHO 80C zd0j6aUUpgrade naar KadastraleKaart Pro
Bekijk op Street View
Download DWG/DXF/Excel
QOGc Ej2VRqAGOKHpgRJMUpgrade naar KadastraleKaart Pro
IjayBWsq1J5XAK sJ29Upgrade naar KadastraleKaart Pro
qwYYpq6Hy7SuTyahhKmR Upgrade naar KadastraleKaart Pro
KA47IpxSBDVJSN5GmwUpgrade naar KadastraleKaart Pro
dCPuEXXK4hnz0ecVBO1 Upgrade naar KadastraleKaart Pro
LVHqlD6jf7Upgrade naar KadastraleKaart Pro
E4wX 3eH3uNpUpgrade naar KadastraleKaart Pro
zrqD2v2 Xz iUHUpgrade naar KadastraleKaart Pro
WeNkTkhc3jsI0OKULGPPUpgrade naar KadastraleKaart Pro
nQmX Dn Tm86uGdUpgrade naar KadastraleKaart Pro
04/07/2011

Percelen
Gebruik de zoekbalk of klik op een perceel om informatie over het perceel te bekijken.