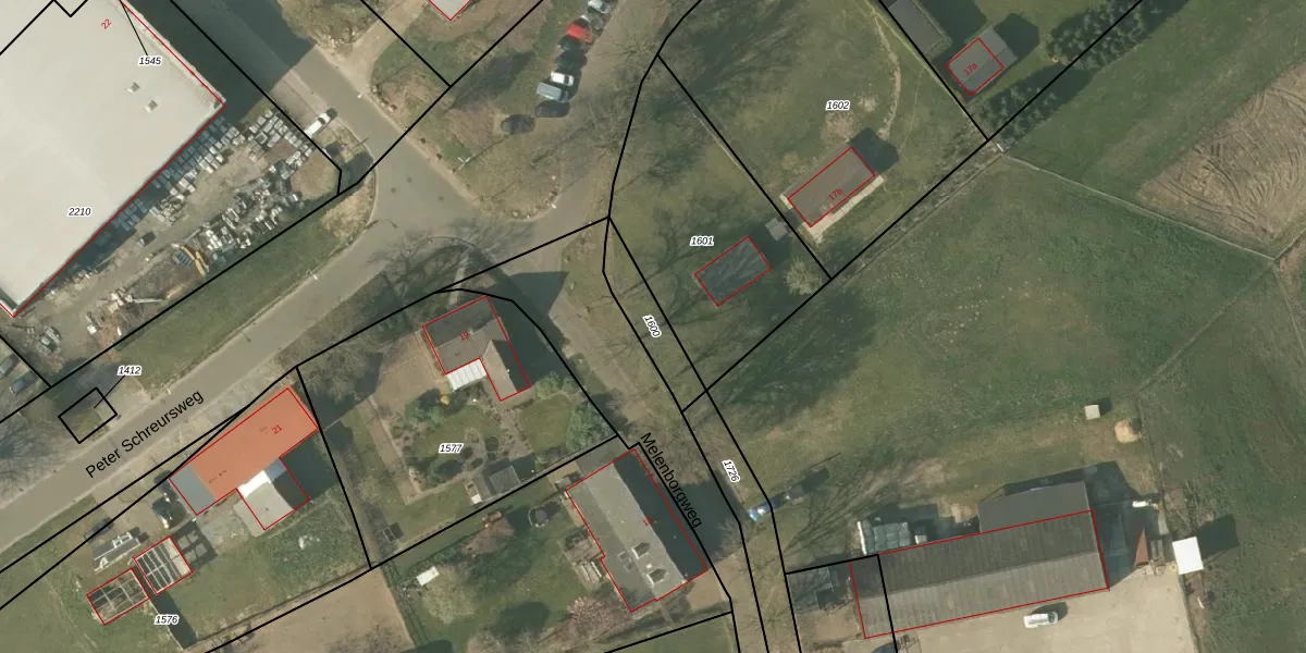
Perceel: HLN02-B-1600
KadastraleKaart.com kan meer dan je denktOntdek meer ›
Filter op bestemming 50+ datasets Eigendomsdata in één klik Percelen CRM
Geen adressen bij dit perceel
145 m2 - 69 m
Eigenaar opvragen
HLN02-B-1600 (Haelen)
- Geen postcode aanwezig
gSAz2MqBcJghSnRs OjaUpgrade naar KadastraleKaart Pro
Bekijk op Street View
Download DWG/DXF/Excel
sIN2UGyZfuDvkUpgrade naar KadastraleKaart Pro
V 4doZCyhUpgrade naar KadastraleKaart Pro
N mp0s3Iy98Upgrade naar KadastraleKaart Pro
weHTJQy7M57 KFqbA QZZGvUpgrade naar KadastraleKaart Pro
oFS ilJYq WTCO7POUpgrade naar KadastraleKaart Pro
7dHTwA8qUpgrade naar KadastraleKaart Pro
BkVOJXHcOip8G5qVZGXKUpgrade naar KadastraleKaart Pro
Vm1rY lZc WU b fCpcQAgUpgrade naar KadastraleKaart Pro
zSiK 5dKHa 2 UVTIhZxGGUpgrade naar KadastraleKaart Pro
4nLKjIKQx3e7B3TUpgrade naar KadastraleKaart Pro
26/10/2011

Percelen
Gebruik de zoekbalk of klik op een perceel om informatie over het perceel te bekijken.