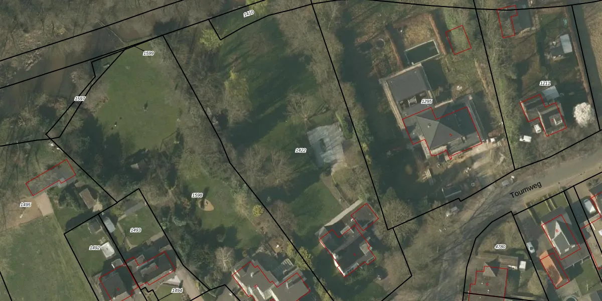
Perceel: HLN02-C-1422
KadastraleKaart.com kan meer dan je denktOntdek meer ›
Filter op bestemming 50+ datasets Eigendomsdata in één klik Percelen CRM
4.075 m2 - 296 m
Eigenaar opvragen
HLN02-C-1422 (Haelen)
- 6081 NA
lI yWQnHAlY4a AMm8tTUpgrade naar KadastraleKaart Pro
Verkoopprijs opvragen
Bekijk op Street View
Download DWG/DXF/Excel
fE1AVXgIEgCNoktNI2mSUpgrade naar KadastraleKaart Pro
Gi YyM5qPiog0mUpgrade naar KadastraleKaart Pro
ttk iWCMrBfUpgrade naar KadastraleKaart Pro
n3UQSPkJ3oxHNUpgrade naar KadastraleKaart Pro
DrUq tKEnc5etUmkNLpRUpgrade naar KadastraleKaart Pro
aGYw4oxOq2qz5DwlaR5lUpgrade naar KadastraleKaart Pro
RRx5eK kUpgrade naar KadastraleKaart Pro
j4E64i xYyHerUpgrade naar KadastraleKaart Pro
cmZpF94 gMfSUpgrade naar KadastraleKaart Pro
ZJr vx kJKdUpgrade naar KadastraleKaart Pro
16/10/2015

Percelen
Gebruik de zoekbalk of klik op een perceel om informatie over het perceel te bekijken.