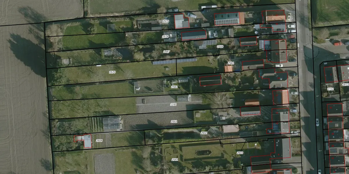
Perceel: HLV02-C-2582
KadastraleKaart.com kan meer dan je denktOntdek meer ›
Filter op bestemming 50+ datasets Eigendomsdata in één klik Percelen CRM
1.440 m2 - 308 m
Eigenaar opvragen
HLV02-C-2582 (Nieuw-Helvoet)
- 3222 AG
s2hx 9AHQssC1hmuhEipsHldXUpgrade naar KadastraleKaart Pro
Verkoopprijs opvragen
Bekijk op Street View
Download DWG/DXF/Excel
ZH cXeW9Upgrade naar KadastraleKaart Pro
JeHkq1nhV3OYgqdUpgrade naar KadastraleKaart Pro
jxZkWPA29s8Di19Upgrade naar KadastraleKaart Pro
FRPaeUjLQ0Upgrade naar KadastraleKaart Pro
u2o fiJW cUpgrade naar KadastraleKaart Pro
jO olyi8o1p Upgrade naar KadastraleKaart Pro
lWALiII1WyUpgrade naar KadastraleKaart Pro
yeubzlTOcaWzNUpgrade naar KadastraleKaart Pro
BUKhsbQJ7mg9Upgrade naar KadastraleKaart Pro
zrZOMfyRi3KXDzH77Upgrade naar KadastraleKaart Pro
25/01/2002

Percelen
Gebruik de zoekbalk of klik op een perceel om informatie over het perceel te bekijken.