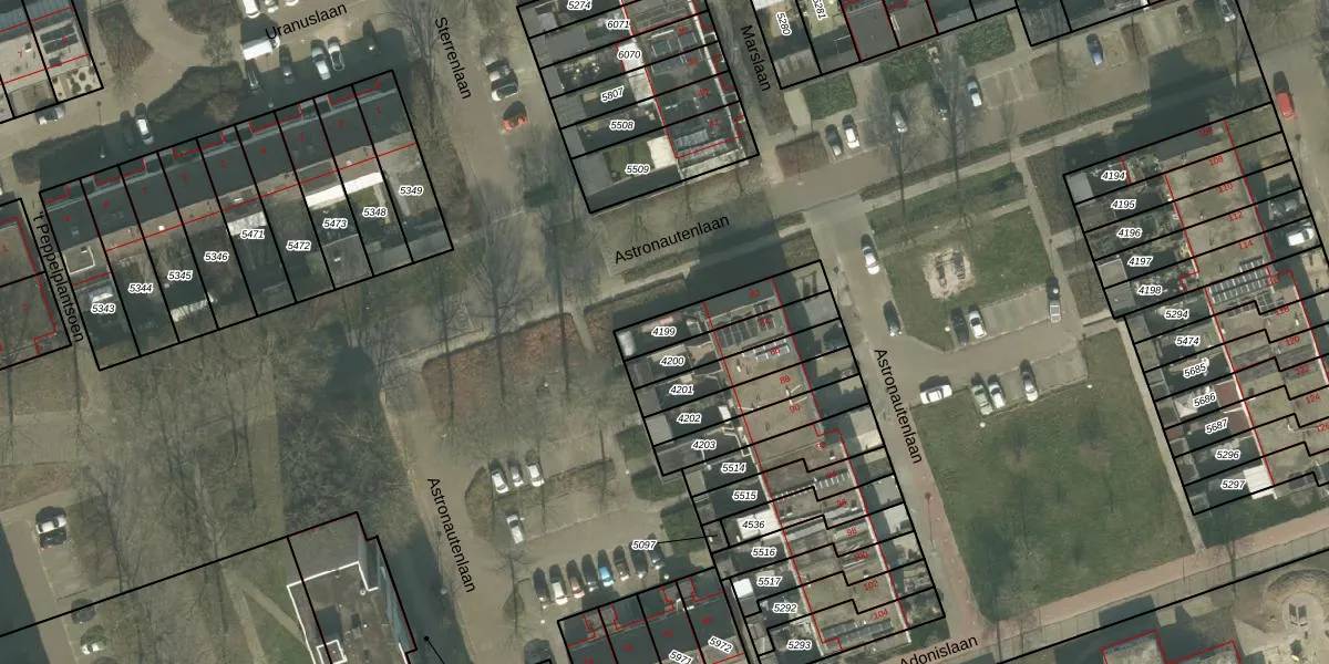
Perceel: HMD00-B-4199
KadastraleKaart.com kan meer dan je denktOntdek meer ›
Filter op bestemming 50+ datasets Eigendomsdata in één klik Percelen CRM
157 m2 - 75 m
Eigenaar opvragen
HMD00-B-4199 (Helmond)
- 5702 GP
TgWqtUV WMP2Cq P 3sW9zqGxUpgrade naar KadastraleKaart Pro
Verkoopprijs opvragen
Bekijk op Street View
Download DWG/DXF/Excel
L8ul1lF HlUpgrade naar KadastraleKaart Pro
2QBEY2s dAoKWZUpgrade naar KadastraleKaart Pro
iB02IpjZb 5Upgrade naar KadastraleKaart Pro
m9 oyCJZw LSUpgrade naar KadastraleKaart Pro
W6heAdCtTSVFUb7FFqrKTEtUpgrade naar KadastraleKaart Pro
a8fYhgvWyJ1sg 2hUpgrade naar KadastraleKaart Pro
ttoTNO1lOo pSRAyEOKHUpgrade naar KadastraleKaart Pro
IRK3Tq7pnoqWUpgrade naar KadastraleKaart Pro
JV6BJwy4XJ vDguYDUPj SUpgrade naar KadastraleKaart Pro
veIVUAckzUpgrade naar KadastraleKaart Pro
17/12/2009

Percelen
Gebruik de zoekbalk of klik op een perceel om informatie over het perceel te bekijken.