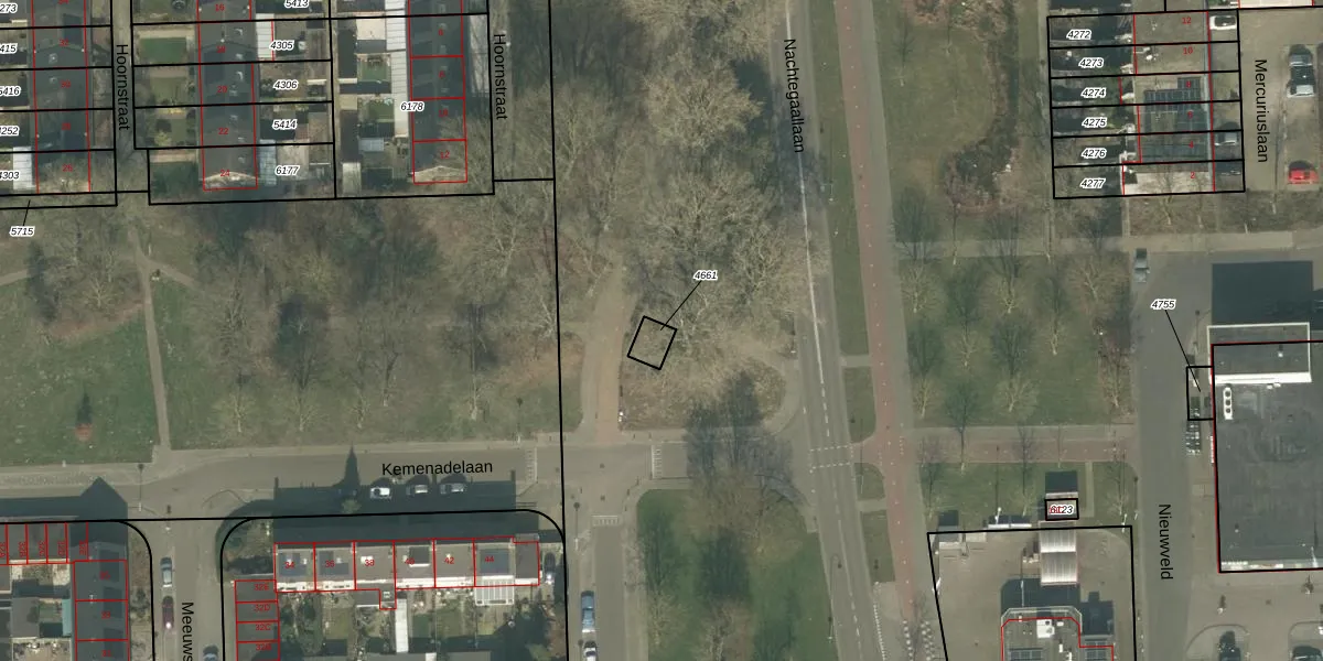
Perceel: HMD00-B-4661
KadastraleKaart.com kan meer dan je denktOntdek meer ›
Filter op bestemming 50+ datasets Eigendomsdata in één klik Percelen CRM
Geen adressen bij dit perceel
34 m2 - 24 m
Eigenaar opvragen
HMD00-B-4661 (Helmond)
- Geen postcode aanwezig
cYPqJYz5t tgE4vmUpgrade naar KadastraleKaart Pro
Bekijk op Street View
Download DWG/DXF/Excel
LtmmfrusR466wTUpgrade naar KadastraleKaart Pro
jGQrFAzmZshpaS5Upgrade naar KadastraleKaart Pro
CpUF6I17JYUpgrade naar KadastraleKaart Pro
cFQ jxH r4PJIaUpgrade naar KadastraleKaart Pro
ZZHtaj5xwxwZUpgrade naar KadastraleKaart Pro
WGiiYi2C1QdLUpgrade naar KadastraleKaart Pro
FM Nmlw 3Vipb gvPL5b4ZUpgrade naar KadastraleKaart Pro
ag7VZRteh Upgrade naar KadastraleKaart Pro
LSrOk3saUpgrade naar KadastraleKaart Pro
f MYAHdrnr4g6efEmr n UUpgrade naar KadastraleKaart Pro
06/04/2010

Percelen
Gebruik de zoekbalk of klik op een perceel om informatie over het perceel te bekijken.