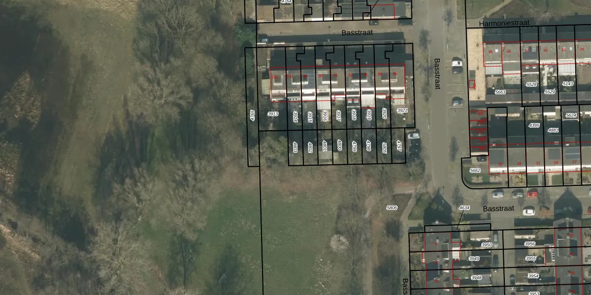
Perceel: HMD00-B-4803
KadastraleKaart.com kan meer dan je denktOntdek meer ›
Filter op bestemming 50+ datasets Eigendomsdata in één klik Percelen CRM
Geen adressen bij dit perceel
60 m2 - 34 m
Eigenaar opvragen
HMD00-B-4803 (Helmond)
- Geen postcode aanwezig
B3 z670zrfg6Df8PD Q 9t E4DMUpgrade naar KadastraleKaart Pro
Bekijk op Street View
Download DWG/DXF/Excel
8sUCfTlSN3G5iUpgrade naar KadastraleKaart Pro
UK2HBBws7Upgrade naar KadastraleKaart Pro
2tHVZ ApJl8cDJ0DcAZ3rUpgrade naar KadastraleKaart Pro
UhQVDevBPjUpgrade naar KadastraleKaart Pro
wKeLNZSg XGuApCfBUpgrade naar KadastraleKaart Pro
9Tz2Sj0gUpgrade naar KadastraleKaart Pro
mepTa4L 6kN NnUpgrade naar KadastraleKaart Pro
52xaAFMRBUAL09xPx8Upgrade naar KadastraleKaart Pro
y07jvBEJk3aFLUvEjngsUpgrade naar KadastraleKaart Pro
YS5AQttXFSAUpgrade naar KadastraleKaart Pro
12/03/2009

Percelen
Gebruik de zoekbalk of klik op een perceel om informatie over het perceel te bekijken.