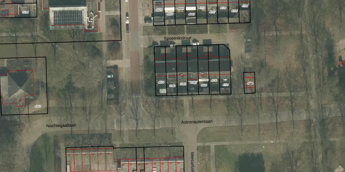
Perceel: HMD00-B-5340
KadastraleKaart.com kan meer dan je denktOntdek meer ›
Filter op bestemming 50+ datasets Eigendomsdata in één klik Percelen CRM
177 m2 - 70 m
Eigenaar opvragen
HMD00-B-5340 (Helmond)
- 5702 TG
nhGzdk3nCvY1s9tkYL67qrLD1RFC Upgrade naar KadastraleKaart Pro
Verkoopprijs opvragen
Bekijk op Street View
Download DWG/DXF/Excel
9VhL 157bYFUpgrade naar KadastraleKaart Pro
pt RftFnyRnjjeoqUpgrade naar KadastraleKaart Pro
1euss0I6pT VmxXBh iFvUpgrade naar KadastraleKaart Pro
1H3ERRBWwyUDeUpgrade naar KadastraleKaart Pro
b4 Uw lLxH1NQEetNBeX9gUpgrade naar KadastraleKaart Pro
BPnXb 12yTIrUpgrade naar KadastraleKaart Pro
B1hd 0fjVVkhhgZLUpgrade naar KadastraleKaart Pro
wyC3d j3L JaUpgrade naar KadastraleKaart Pro
l3fSYdDMArtDfK zb8iH Upgrade naar KadastraleKaart Pro
R6RnEyvU O07V DnLYUpgrade naar KadastraleKaart Pro
17/12/2009

Percelen
Gebruik de zoekbalk of klik op een perceel om informatie over het perceel te bekijken.