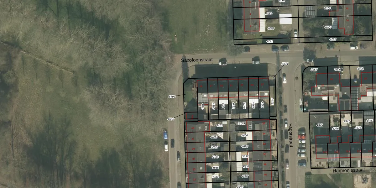
Perceel: HMD00-B-5793
KadastraleKaart.com kan meer dan je denktOntdek meer ›
Filter op bestemming 50+ datasets Eigendomsdata in één klik Percelen CRM
Geen adressen bij dit perceel
124 m2 - 49 m
Eigenaar opvragen
HMD00-B-5793 (Helmond)
- Geen postcode aanwezig
vYc4VjH8LhuefPtHRpIiWe ksQUbUpgrade naar KadastraleKaart Pro
Bekijk op Street View
Download DWG/DXF/Excel
LLGAhOj3zAUpgrade naar KadastraleKaart Pro
VTaqNd9qftu899 Upgrade naar KadastraleKaart Pro
YkP 61iEUpgrade naar KadastraleKaart Pro
ps4 rh1HOJE9JC3 yfUpgrade naar KadastraleKaart Pro
dRfP1ZHgWtzDwQU8UUpgrade naar KadastraleKaart Pro
SIYftgbK yO6 EEXDrWBKFUpgrade naar KadastraleKaart Pro
TH9bX4PWSC6yvOg4lnGaNHUpgrade naar KadastraleKaart Pro
8grw 07INBeKq05 TqWK6Upgrade naar KadastraleKaart Pro
vvW W0F1EBjdVQawE rMjuUpgrade naar KadastraleKaart Pro
CsWeEj fJVIfRvB6fOI2GtUpgrade naar KadastraleKaart Pro
17/12/2009

Percelen
Gebruik de zoekbalk of klik op een perceel om informatie over het perceel te bekijken.