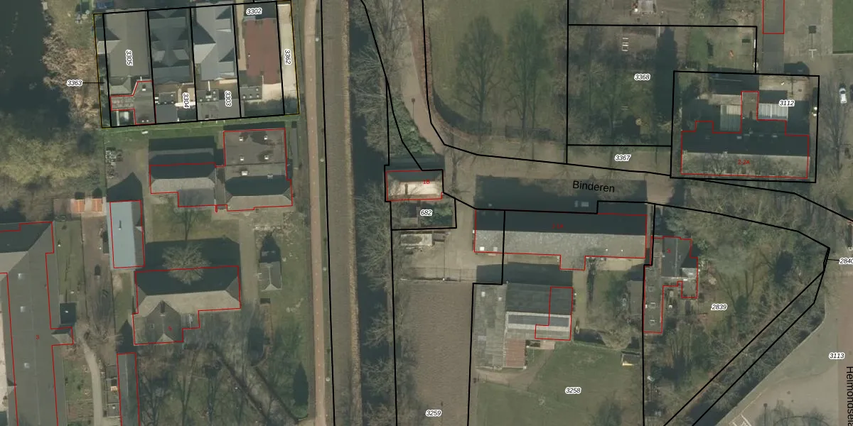
Perceel: HMD00-E-682
253 m2 - 97 m
Eigenaar opvragen
HMD00-E-682 (Helmond)
- 5702 NT
xqDV76p0ULRaz 4lkUpgrade naar KadastraleKaart Pro
Bekijk op Street View
Download DWG/DXF/Excel
0PBM9n9RBnwsD3ifeUpgrade naar KadastraleKaart Pro
u7gWu lUpgrade naar KadastraleKaart Pro
AsR Hct2QeP3cqWpUpgrade naar KadastraleKaart Pro
oFGm1TJoIe Upgrade naar KadastraleKaart Pro
2hCV7DGkUpgrade naar KadastraleKaart Pro
TJLl4LlkDpWK3iw GweLUpgrade naar KadastraleKaart Pro
Ifbt4gqRUWxKC Upgrade naar KadastraleKaart Pro
bJiCEV2xeJxdPAK d8Upgrade naar KadastraleKaart Pro
dk9ntTipsTyMQ Upgrade naar KadastraleKaart Pro
IHfptSvyn7XsPMUpgrade naar KadastraleKaart Pro
23/03/2009

Percelen
Gebruik de zoekbalk of klik op een perceel om informatie over het perceel te bekijken.