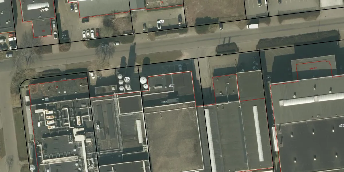
Perceel: HMD00-F-584
Geen adressen bij dit perceel
2.402 m2 - 207 m
Eigenaar opvragen
HMD00-F-584 (Helmond)
- Geen postcode aanwezig
xPri kX ygGC jo7Upgrade naar KadastraleKaart Pro
Bekijk op Street View
Download DWG/DXF/Excel
abJ8U3xfO JL9CaGt8 3tUpgrade naar KadastraleKaart Pro
3Kb7iLrLxs 7Bxgk HazUpgrade naar KadastraleKaart Pro
qZOynmKxoLUpgrade naar KadastraleKaart Pro
lxj c TUpgrade naar KadastraleKaart Pro
KhKRV3r1 qhQWSUpgrade naar KadastraleKaart Pro
r dQQbFd3Y4Upgrade naar KadastraleKaart Pro
jj9oJSm3agD4yaDrwYHUpgrade naar KadastraleKaart Pro
mWw 1vxQ1vJEaLYIOxz9Upgrade naar KadastraleKaart Pro
OfRLxG2BVQJaUpgrade naar KadastraleKaart Pro
wjUQnDBGoLs eWxUpgrade naar KadastraleKaart Pro
12/02/2009

Percelen
Gebruik de zoekbalk of klik op een perceel om informatie over het perceel te bekijken.