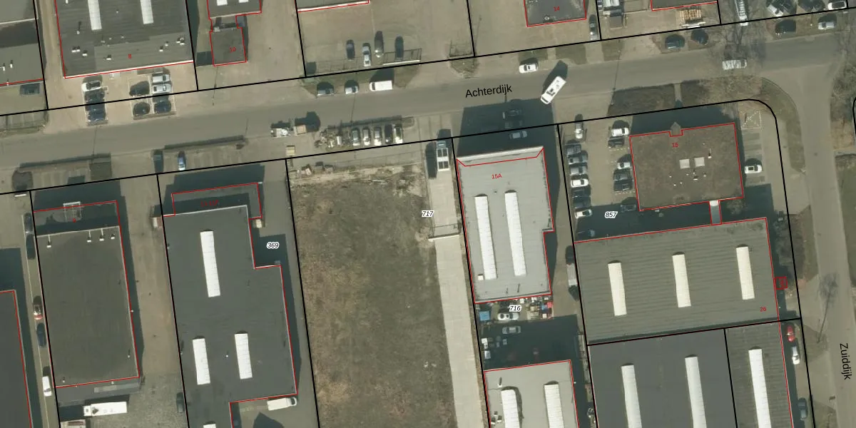
Perceel: HMD00-F-717
Geen adressen bij dit perceel
3.999 m2 - 278 m
Eigenaar opvragen
HMD00-F-717 (Helmond)
- Geen postcode aanwezig
9qQA MBe8c1AxJUrmMQqkUpgrade naar KadastraleKaart Pro
Bekijk op Street View
Download DWG/DXF/Excel
BR 4c8EO z51Upgrade naar KadastraleKaart Pro
X6Ye0a9ru b o7Upgrade naar KadastraleKaart Pro
wsyk8kU 85ru jqUpgrade naar KadastraleKaart Pro
gdi8vWD7uBrb5Upgrade naar KadastraleKaart Pro
ep7Zo6cja l4 e64fQZKQ3Upgrade naar KadastraleKaart Pro
r0QPadeocIcZ7J33y9RUpgrade naar KadastraleKaart Pro
8S1DlzWBXse5yOWs Upgrade naar KadastraleKaart Pro
uxYf6jwB2pzecb65IUpgrade naar KadastraleKaart Pro
5x F 7vxpKeUpgrade naar KadastraleKaart Pro
lLExX MP YX9zy bq5Upgrade naar KadastraleKaart Pro
12/02/2009

Percelen
Gebruik de zoekbalk of klik op een perceel om informatie over het perceel te bekijken.