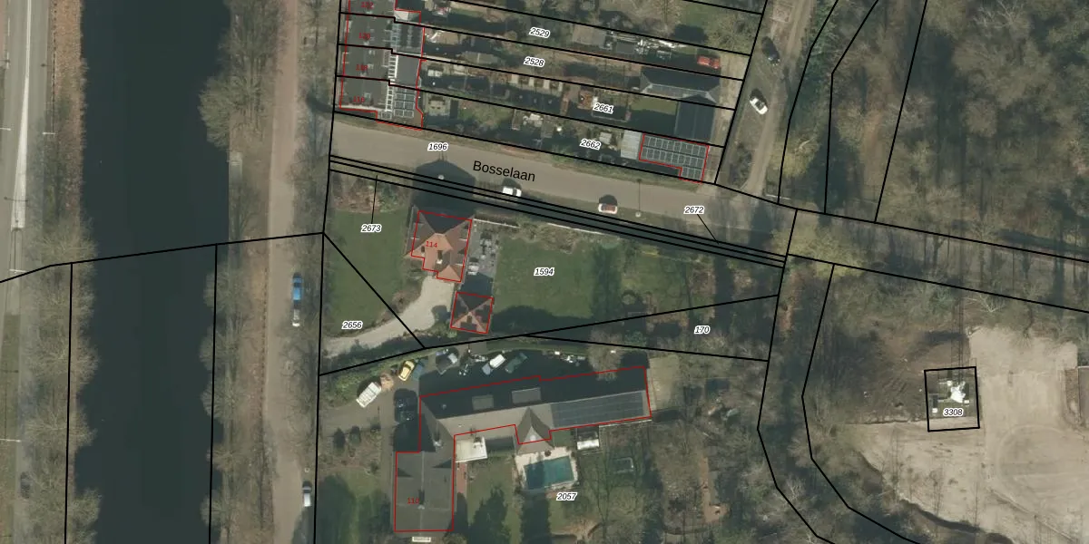
Perceel: HMD00-L-1594
1.440 m2 - 196 m
Eigenaar opvragen
HMD00-L-1594 (Helmond)
- 5702 NW
cLB3e5Dvd yRDDQRr7L7L CeXh e9Upgrade naar KadastraleKaart Pro
Bekijk op Street View
Download DWG/DXF/Excel
MdybfUBv7Rh8pZcdjeOAUpgrade naar KadastraleKaart Pro
VI3ffi7H0AUpgrade naar KadastraleKaart Pro
op0W6jzbi8c66T8rKiZeMUpgrade naar KadastraleKaart Pro
ssq0VKYSdYlR0n rUpgrade naar KadastraleKaart Pro
ZmDnYAZAbHXYWUpgrade naar KadastraleKaart Pro
Ui qivB2D e8JOkURb nPQUpgrade naar KadastraleKaart Pro
4koQ79tqqI6QDUUpgrade naar KadastraleKaart Pro
wkcTs6EPIpUpgrade naar KadastraleKaart Pro
4lU 57 urt M9T5TUpgrade naar KadastraleKaart Pro
mzSf9AK1rukMmGS0Upgrade naar KadastraleKaart Pro
23/03/2009

Percelen
Gebruik de zoekbalk of klik op een perceel om informatie over het perceel te bekijken.