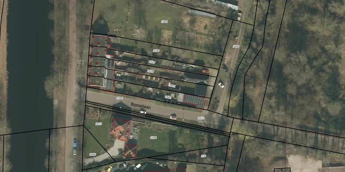
Perceel: HMD00-L-2661
481 m2 - 161 m
Eigenaar opvragen
HMD00-L-2661 (Helmond)
- 5702 NW
XKV4aCIFvcCoyCgAUpgrade naar KadastraleKaart Pro
Bekijk op Street View
Download DWG/DXF/Excel
QQIgf gZX5 HIOrUN4hx2Upgrade naar KadastraleKaart Pro
iA9WWgv2twWpyOi7aUpgrade naar KadastraleKaart Pro
s ffHRVHZ5 5dmSzqZwcn7SUpgrade naar KadastraleKaart Pro
37fhooV uQxVPmVG9U6sUpgrade naar KadastraleKaart Pro
7IjRl 4Gt gYPLg3bWtXUpgrade naar KadastraleKaart Pro
nzRpqlg MM7TQG9U0qEM Upgrade naar KadastraleKaart Pro
3sc n4 VKeOkO2sL L Upgrade naar KadastraleKaart Pro
nf3XIVxN3 7E3bH1IOG26raUpgrade naar KadastraleKaart Pro
lforvoMoIbv9Upgrade naar KadastraleKaart Pro
P k 8qDmHlaE M QUpgrade naar KadastraleKaart Pro
23/03/2009

Percelen
Gebruik de zoekbalk of klik op een perceel om informatie over het perceel te bekijken.