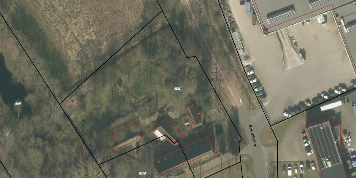
Perceel: HMD00-U-2704
5.090 m2 - 325 m
Eigenaar opvragen
HMD00-U-2704 (Helmond)
- 5707 DB
MZv ivjZenr14JzZcIUpgrade naar KadastraleKaart Pro
Verkoopprijs opvragen
Bekijk op Street View
Download DWG/DXF/Excel
O9lvt5Hj88aMWweUpgrade naar KadastraleKaart Pro
HYfHMXGSL5dtbUpgrade naar KadastraleKaart Pro
LV8a8OlV1X3Io5mUpgrade naar KadastraleKaart Pro
FjOHsc3S Upgrade naar KadastraleKaart Pro
d8 ZllTef9UWIcgduv6adUpgrade naar KadastraleKaart Pro
T MhDvHhl Upgrade naar KadastraleKaart Pro
2hZv756 gxSlBhF XZUpgrade naar KadastraleKaart Pro
ktDKB0 fXDHrhktP82t6Upgrade naar KadastraleKaart Pro
8Rqldo VbIAZuxDEU3FdoUpgrade naar KadastraleKaart Pro
4sO06Tzm 9C KXjUpgrade naar KadastraleKaart Pro
22/07/2009

Percelen
Gebruik de zoekbalk of klik op een perceel om informatie over het perceel te bekijken.