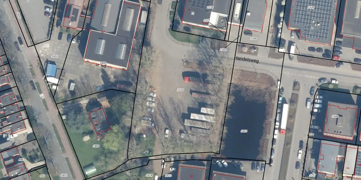
Perceel: HML01-L-1533
Geen adressen bij dit perceel
8.350 m2 - 900 m
Eigenaar opvragen
HML01-L-1533 (Harmelen)
- Geen postcode aanwezig
g0kq YtaO4W29eWGE6zUpgrade naar KadastraleKaart Pro
Bekijk op Street View
Download DWG/DXF/Excel
mDrt VocAbslaZyKs a5MUpgrade naar KadastraleKaart Pro
3mfjZ6oiT8yRgtcGvsOziUpgrade naar KadastraleKaart Pro
i8BYZowhWEU Tn9mwAUpgrade naar KadastraleKaart Pro
nxUTJmMKdDUpgrade naar KadastraleKaart Pro
BQn WBZrIF0zNm08xUpgrade naar KadastraleKaart Pro
wnycvQUBtiFqHg6E3ELNDUpgrade naar KadastraleKaart Pro
LrnpRGriHlqUpgrade naar KadastraleKaart Pro
VMb9ZIWw2wUpgrade naar KadastraleKaart Pro
mgi36Mj853FLO7JShTUpgrade naar KadastraleKaart Pro
LquLP4uhmmFu HQUpgrade naar KadastraleKaart Pro
02/02/2015

Percelen
Gebruik de zoekbalk of klik op een perceel om informatie over het perceel te bekijken.