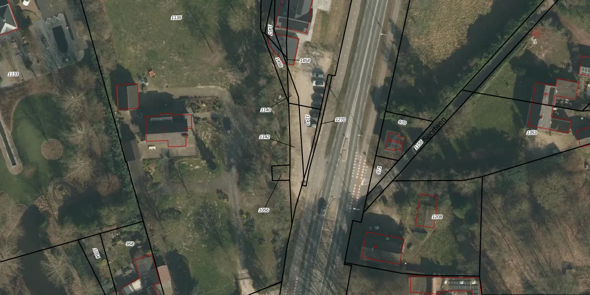
Perceel: HMN01-A-1142
KadastraleKaart.com kan meer dan je denktOntdek meer ›
Filter op bestemming 50+ datasets Eigendomsdata in één klik Percelen CRM
Geen adressen bij dit perceel
160 m2 - 86 m
Eigenaar opvragen
HMN01-A-1142 (Heumen)
- Geen postcode aanwezig
6sIeq5JLJkPTSVruTV7lyn5AdUpgrade naar KadastraleKaart Pro
Bekijk op Street View
Download DWG/DXF/Excel
cRA6nOw I t3 zEA9XG GLUpgrade naar KadastraleKaart Pro
MS4 ElV GBvUpgrade naar KadastraleKaart Pro
Zc 3wkDFBVM6Upgrade naar KadastraleKaart Pro
nOy1QQztuhT ZcGHtCtcOUpgrade naar KadastraleKaart Pro
r94PfbXHR 4 BBvKxjqE7Upgrade naar KadastraleKaart Pro
2AX08AUO7I3M9Upgrade naar KadastraleKaart Pro
EfA7UCp2Nc Upgrade naar KadastraleKaart Pro
ZEYV X8kyIfg2 3 Upgrade naar KadastraleKaart Pro
dZOE NCLg5G5lZjFEUpgrade naar KadastraleKaart Pro
5Jm1la7A60z7Upgrade naar KadastraleKaart Pro
17/12/2008

Percelen
Gebruik de zoekbalk of klik op een perceel om informatie over het perceel te bekijken.