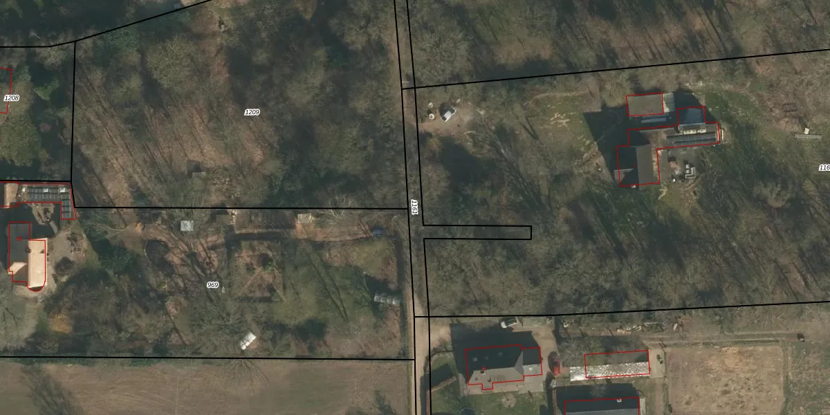
Perceel: HMN01-A-1161
KadastraleKaart.com kan meer dan je denktOntdek meer ›
Filter op bestemming 50+ datasets Eigendomsdata in één klik Percelen CRM
Geen adressen bij dit perceel
265 m2 - 169 m
Eigenaar opvragen
HMN01-A-1161 (Heumen)
- Geen postcode aanwezig
Rcca2LSb7a25wYW2PjPUpgrade naar KadastraleKaart Pro
Bekijk op Street View
Download DWG/DXF/Excel
4yWDSumhHY0PYUpgrade naar KadastraleKaart Pro
SNk 43e0pTUpgrade naar KadastraleKaart Pro
im878ofNNy FVa0 4wvUpgrade naar KadastraleKaart Pro
0yY5XXnGRSVJ4ppfGp5i Upgrade naar KadastraleKaart Pro
w89ghkfh4SPUpgrade naar KadastraleKaart Pro
G8pGxx0fbpL8y 1pXUpgrade naar KadastraleKaart Pro
Du92AhDilWN8Q 8 1Upgrade naar KadastraleKaart Pro
cmOexGuUNSElBB8ygIgIVUpgrade naar KadastraleKaart Pro
Cs89 UDoUpgrade naar KadastraleKaart Pro
BQYxcykgqdbUdu8bVGUpgrade naar KadastraleKaart Pro
17/12/2008

Percelen
Gebruik de zoekbalk of klik op een perceel om informatie over het perceel te bekijken.