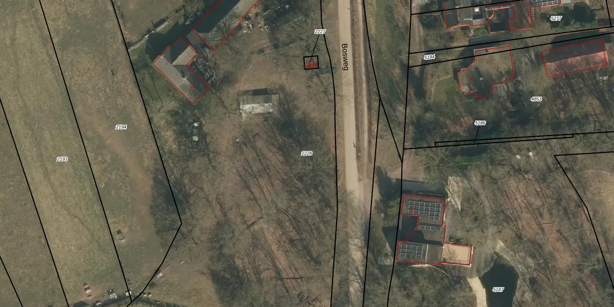
Perceel: HMN01-C-2228
KadastraleKaart.com kan meer dan je denktOntdek meer ›
Filter op bestemming 50+ datasets Eigendomsdata in één klik Percelen CRM
7.850 m2 - 477 m
Eigenaar opvragen
HMN01-C-2228 (Heumen)
- 6581 KR
prFoV 6xp2RymsvACDv2Upgrade naar KadastraleKaart Pro
Bekijk op Street View
Download DWG/DXF/Excel
rjAJg4gRZQ9pJ 9RQ0yz5Upgrade naar KadastraleKaart Pro
3K3 2CJ2dWTb454XdvUpgrade naar KadastraleKaart Pro
LQt0cm55dEtdZe O8vZaESUpgrade naar KadastraleKaart Pro
CHEZoNO5 lo7Upgrade naar KadastraleKaart Pro
unU4ovotoT cnKheyQfqUpgrade naar KadastraleKaart Pro
W0HXMQ8HOGfkqUpgrade naar KadastraleKaart Pro
uzN0h4KlJ1 Fc Upgrade naar KadastraleKaart Pro
p0eFR2KY6Upgrade naar KadastraleKaart Pro
EKsNqho w4PqdS3n9 Upgrade naar KadastraleKaart Pro
lOKLUKkvizpz BX 70M4tUpgrade naar KadastraleKaart Pro
28/10/2022

Percelen
Gebruik de zoekbalk of klik op een perceel om informatie over het perceel te bekijken.