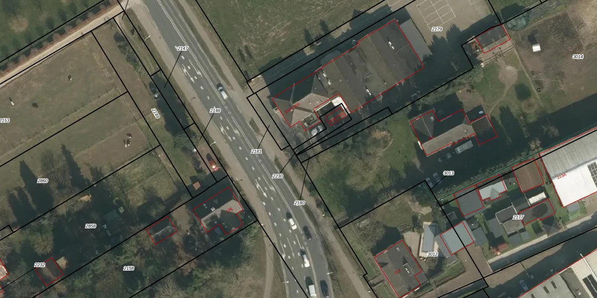
Perceel: HMN01-C-2230
KadastraleKaart.com kan meer dan je denktOntdek meer ›
Filter op bestemming 50+ datasets Eigendomsdata in één klik Percelen CRM
84 m2 - 57 m
Eigenaar opvragen
HMN01-C-2230 (Heumen)
- Geen postcode aanwezig
HdCVUcDaKt7Np z26CTpiIeUpgrade naar KadastraleKaart Pro
Bekijk op Street View
Download DWG/DXF/Excel
Pt54jz Gv Upgrade naar KadastraleKaart Pro
1QYe 6vg2 Upgrade naar KadastraleKaart Pro
DCKj XBrBr0Upgrade naar KadastraleKaart Pro
4Zf CEZF PIqUpgrade naar KadastraleKaart Pro
8BzG4PbP 9cUpgrade naar KadastraleKaart Pro
1MANo3L1 n1pR2Z Upgrade naar KadastraleKaart Pro
9F0F0 dSBLWM7pM6IUpgrade naar KadastraleKaart Pro
7Sr7olZ3f0Rqf5HkUpgrade naar KadastraleKaart Pro
0XceLfFIakinNngbyyHUpgrade naar KadastraleKaart Pro
vzh5NT9XdgryXHcjuaofiHUpgrade naar KadastraleKaart Pro
07/09/2000

Percelen
Gebruik de zoekbalk of klik op een perceel om informatie over het perceel te bekijken.