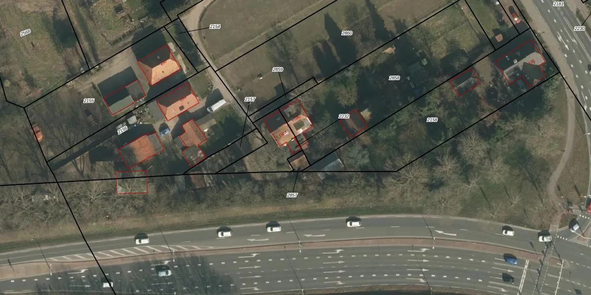
Perceel: HMN01-C-2232
KadastraleKaart.com kan meer dan je denktOntdek meer ›
Filter op bestemming 50+ datasets Eigendomsdata in één klik Percelen CRM
305 m2 - 93 m
Eigenaar opvragen
HMN01-C-2232 (Heumen)
- 6581 EV
3RrPOUccHdxvGrPuUpgrade naar KadastraleKaart Pro
Bekijk op Street View
Download DWG/DXF/Excel
uua6bVbLQC mP78Upgrade naar KadastraleKaart Pro
faSIWq xzayJ jH6MaQ oUpgrade naar KadastraleKaart Pro
oBZSJGbCvBoydHtUFUpgrade naar KadastraleKaart Pro
ykfrryMZoyBwzYIKf90GNUpgrade naar KadastraleKaart Pro
LqQb2Zq2d U9Upgrade naar KadastraleKaart Pro
v9XoD2oB8rUkPpUpgrade naar KadastraleKaart Pro
7t2pCXOnUpgrade naar KadastraleKaart Pro
ajnDk3dy5hf 7Upgrade naar KadastraleKaart Pro
Je Rl8t8bY7Upgrade naar KadastraleKaart Pro
JezWvkpxXt13Upgrade naar KadastraleKaart Pro
20/02/2007

Percelen
Gebruik de zoekbalk of klik op een perceel om informatie over het perceel te bekijken.