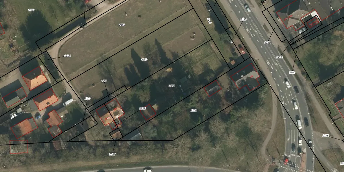
Perceel: HMN01-C-2858
1.528 m2 - 190 m
Eigenaar opvragen
HMN01-C-2858 (Heumen)
- 6581 EV
9j99TadJt zeh9k3ii1tgHIWXqZUpgrade naar KadastraleKaart Pro
Bekijk op Street View
Download DWG/DXF/Excel
e 0chr25L9Pr7GkLDUpgrade naar KadastraleKaart Pro
m b1qv aoA9UPu2nmzUpgrade naar KadastraleKaart Pro
y7zR2vuDIX4eVLUpgrade naar KadastraleKaart Pro
frGFY0 Z6q3DeC6waUpgrade naar KadastraleKaart Pro
g3F1BX8ey Upgrade naar KadastraleKaart Pro
5g5 6RRxh732A2Q7 UT9NUpgrade naar KadastraleKaart Pro
U2AWb2 z4B BFO3mgUpgrade naar KadastraleKaart Pro
rjkC3nDWwVLxS F0J5Upgrade naar KadastraleKaart Pro
YVpDE rf Z7Xd Upgrade naar KadastraleKaart Pro
vy4ACNLALNUpgrade naar KadastraleKaart Pro
20/12/2006

Percelen
Gebruik de zoekbalk of klik op een perceel om informatie over het perceel te bekijken.