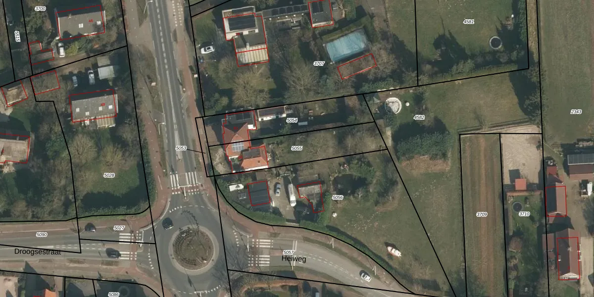
Perceel: HMN01-G-5055
KadastraleKaart.com kan meer dan je denktOntdek meer ›
Filter op bestemming 50+ datasets Eigendomsdata in één klik Percelen CRM
592 m2 - 136 m
Eigenaar opvragen
HMN01-G-5055 (Heumen)
- 6581 EG
Jf N0ko1Mnm InlO BSP4 zjeUpgrade naar KadastraleKaart Pro
Verkoopprijs opvragen
Bekijk op Street View
Download DWG/DXF/Excel
ME9t0aJPUpgrade naar KadastraleKaart Pro
fmkGyYtls ppUACSuIUpgrade naar KadastraleKaart Pro
u mtAuq 6gnsTNP FR d 3dUpgrade naar KadastraleKaart Pro
Yk gsgsiUpgrade naar KadastraleKaart Pro
w6w1e6PuAmlTPSKdN3Upgrade naar KadastraleKaart Pro
7Y7ZN153EUpgrade naar KadastraleKaart Pro
xtu5 qMVgjLUpgrade naar KadastraleKaart Pro
r0 Ppc3YuhUpgrade naar KadastraleKaart Pro
YBtmhEmnXzN I2lg 3YUpgrade naar KadastraleKaart Pro
smxqnk87KY0 AXUpgrade naar KadastraleKaart Pro
17/12/2008

Percelen
Gebruik de zoekbalk of klik op een perceel om informatie over het perceel te bekijken.