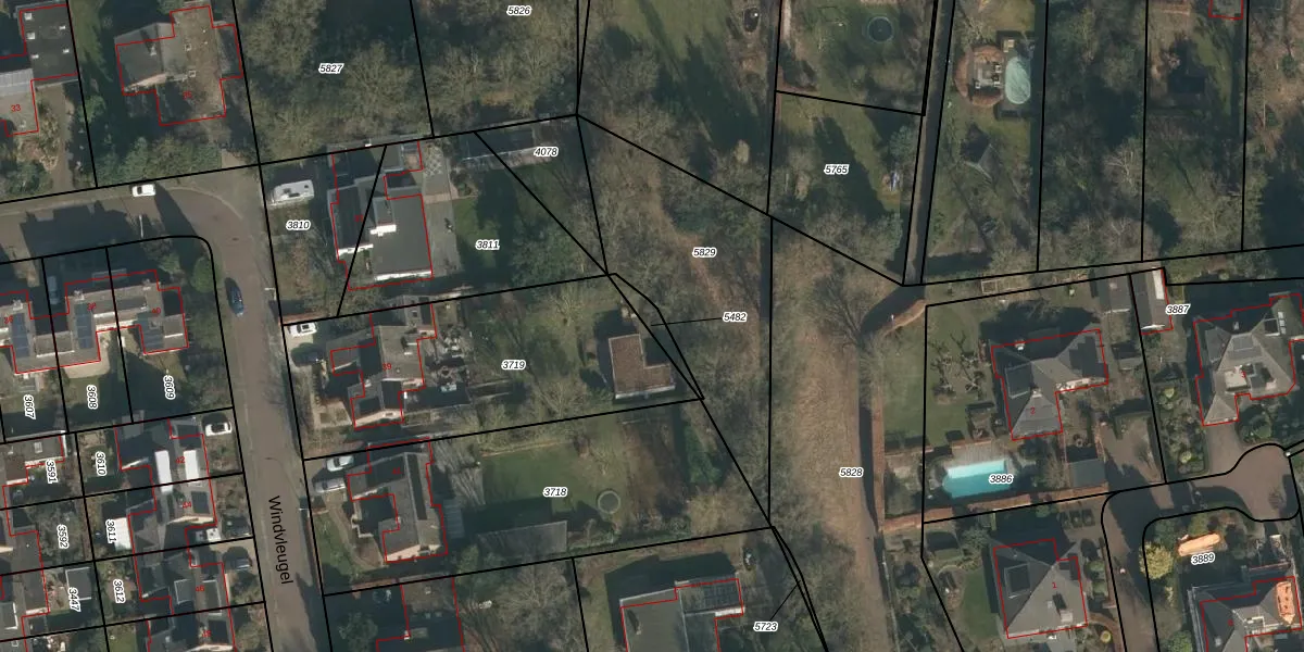
Perceel: HMN01-G-5482
KadastraleKaart.com kan meer dan je denktOntdek meer ›
Filter op bestemming 50+ datasets Eigendomsdata in één klik Percelen CRM
Geen adressen bij dit perceel
44 m2 - 49 m
Eigenaar opvragen
HMN01-G-5482 (Heumen)
- Geen postcode aanwezig
JXRZ BBNiXlgG4l bsUpgrade naar KadastraleKaart Pro
Bekijk op Street View
Download DWG/DXF/Excel
yFACl nlj Upgrade naar KadastraleKaart Pro
lwouImIjUpgrade naar KadastraleKaart Pro
Xl J jAlSZy RTBmjuaQ7PUpgrade naar KadastraleKaart Pro
E1EJSdG39d7YhXUpgrade naar KadastraleKaart Pro
xOQLRmrgVr4gLZ0gUrf 26IUpgrade naar KadastraleKaart Pro
xthweor jUpgrade naar KadastraleKaart Pro
Q6JUM 1OAHjUpgrade naar KadastraleKaart Pro
JsyYbzPOgAUpgrade naar KadastraleKaart Pro
JEz6Nx 61UD5ENW Jcu15Upgrade naar KadastraleKaart Pro
Rp0Ssg8C7k 2bt1Upgrade naar KadastraleKaart Pro
18/04/2011

Percelen
Gebruik de zoekbalk of klik op een perceel om informatie over het perceel te bekijken.