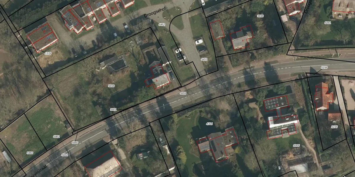
Perceel: HMN01-G-5659
KadastraleKaart.com kan meer dan je denktOntdek meer ›
Filter op bestemming 50+ datasets Eigendomsdata in één klik Percelen CRM
Geen adressen bij dit perceel
9 m2 - 46 m
Eigenaar opvragen
HMN01-G-5659 (Heumen)
- Geen postcode aanwezig
ZM1l6WPh1LyZKe Z mB2Upgrade naar KadastraleKaart Pro
Bekijk op Street View
Download DWG/DXF/Excel
rVfaB BBL0eSN W 17MpUpgrade naar KadastraleKaart Pro
eOoLbMqHV5Fo7SUpgrade naar KadastraleKaart Pro
lboL95OUgW sC2vErvUpgrade naar KadastraleKaart Pro
odpyuSn2JDU3D3HNEUpgrade naar KadastraleKaart Pro
efX90xpGkUpgrade naar KadastraleKaart Pro
PDz4 m6OAa5L cB T BUpgrade naar KadastraleKaart Pro
du7n XLgIjb Upgrade naar KadastraleKaart Pro
Ydz1up4HnxfNPFUpgrade naar KadastraleKaart Pro
bqCW4Luj7B mjFsAvNYUpgrade naar KadastraleKaart Pro
wuaHsdWW URWVwb8C J0Upgrade naar KadastraleKaart Pro
12/04/2013

Percelen
Gebruik de zoekbalk of klik op een perceel om informatie over het perceel te bekijken.