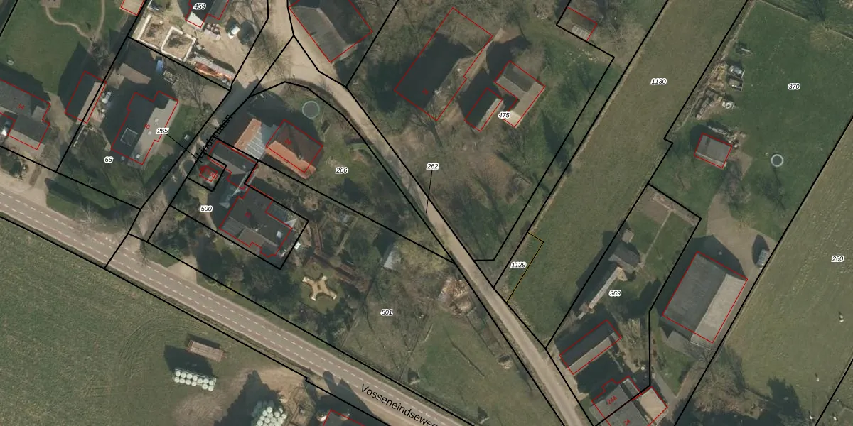
Perceel: HMN01-I-262
KadastraleKaart.com kan meer dan je denktOntdek meer ›
Filter op bestemming 50+ datasets Eigendomsdata in één klik Percelen CRM
Geen adressen bij dit perceel
750 m2 - 300 m
Eigenaar opvragen
HMN01-I-262 (Heumen)
- Geen postcode aanwezig
P pVvZUX0 0 Wlbf52bUpgrade naar KadastraleKaart Pro
Bekijk op Street View
Download DWG/DXF/Excel
fRijTb9PAN ZekgSY7AKKHUpgrade naar KadastraleKaart Pro
d38yqouf1CCDKgM1ZoZUpgrade naar KadastraleKaart Pro
t sf19fW u1Upgrade naar KadastraleKaart Pro
iW NZPDTcCEpot yazVUpgrade naar KadastraleKaart Pro
In1FFMbuUpgrade naar KadastraleKaart Pro
sviob94qUpgrade naar KadastraleKaart Pro
1b6tKcWfulN 08 iUpgrade naar KadastraleKaart Pro
q1Lvz 1Huk4ASo5eSvhKWXUpgrade naar KadastraleKaart Pro
Nc8J2nEDUpgrade naar KadastraleKaart Pro
GUujZjfPwqYxybGu rOACUpgrade naar KadastraleKaart Pro
02/01/2026

Percelen
Gebruik de zoekbalk of klik op een perceel om informatie over het perceel te bekijken.