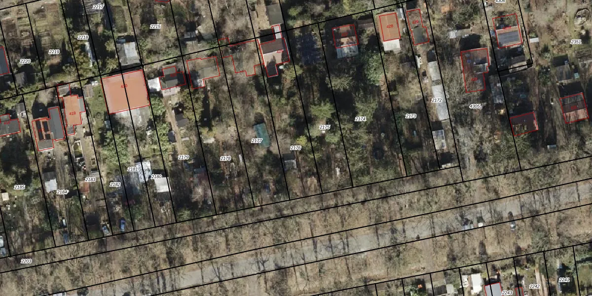
Perceel: HMN02-O-2176
KadastraleKaart.com kan meer dan je denktOntdek meer ›
Filter op bestemming 50+ datasets Eigendomsdata in één klik Percelen CRM
619 m2 - 134 m
Eigenaar opvragen
HMN02-O-2176 (Helpman)
- 9728 XB
h3xa01JmFcBMy0scRfUpgrade naar KadastraleKaart Pro
Bekijk op Street View
Download DWG/DXF/Excel
GP0LufK TFt4HG2UG1NUpgrade naar KadastraleKaart Pro
qW84j224Upgrade naar KadastraleKaart Pro
mk 50f 08ULrL8dO9Upgrade naar KadastraleKaart Pro
2rWLOAChlD P TiaUpgrade naar KadastraleKaart Pro
pHSVX6fDmtsCX8PPMTTBvTUpgrade naar KadastraleKaart Pro
q0YMkGg rnZjOfQUbhBUpgrade naar KadastraleKaart Pro
2 f2NNiARdRauPUpgrade naar KadastraleKaart Pro
V7vu1 ZWroTU RO0hP NaDUpgrade naar KadastraleKaart Pro
Sss wOioyKUpgrade naar KadastraleKaart Pro
UvxrT0sGUpgrade naar KadastraleKaart Pro
13/11/2003

Percelen
Gebruik de zoekbalk of klik op een perceel om informatie over het perceel te bekijken.