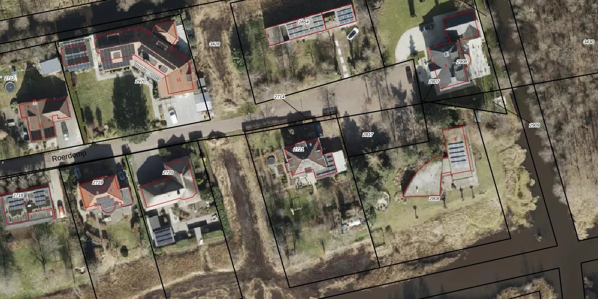
Perceel: HMN02-O-2721
1.635 m2 - 168 m
Eigenaar opvragen
HMN02-O-2721 (Helpman)
- 9728 XP
zsFWNJEI vP9z4vXkyIUpgrade naar KadastraleKaart Pro
Verkoopprijs opvragen
Bekijk op Street View
Download DWG/DXF/Excel
5gBEVGCkUpgrade naar KadastraleKaart Pro
SUlsqwNVyR2DQkYOMAmq Upgrade naar KadastraleKaart Pro
c RYLTOon7lCn7w3vB JQUpgrade naar KadastraleKaart Pro
aRo G2 qMl M1NUpgrade naar KadastraleKaart Pro
WwZproPHam 9der9cxUUpgrade naar KadastraleKaart Pro
asmkThwjC2nSvUpgrade naar KadastraleKaart Pro
EExPb86zDjtimx 2bUpgrade naar KadastraleKaart Pro
1JiG bi lAUpgrade naar KadastraleKaart Pro
rUEwNspNU 6e9jJye7PhRAjUpgrade naar KadastraleKaart Pro
am2cYtx33bMiNWUpgrade naar KadastraleKaart Pro
01/12/2005

Percelen
Gebruik de zoekbalk of klik op een perceel om informatie over het perceel te bekijken.