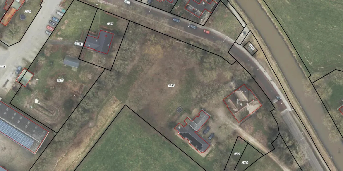
Perceel: HNO01-A-1896
KadastraleKaart.com kan meer dan je denktOntdek meer ›
Filter op bestemming 50+ datasets Eigendomsdata in één klik Percelen CRM
7.116 m2 - 508 m
Eigenaar opvragen
HNO01-A-1896 (Heino)
- 8055 PS
oZcKCFeqXDpvAI2l3TxQJyBxYuRoWUpgrade naar KadastraleKaart Pro
Bekijk op Street View
Download DWG/DXF/Excel
9NsIsVuxsn4 Q6Oz1TiUpgrade naar KadastraleKaart Pro
HOlzMyjSFkjbb e5Ok QUpgrade naar KadastraleKaart Pro
CwRgDEmLpvEZUEgUKe2KUpgrade naar KadastraleKaart Pro
V0j3LrhLnZUpgrade naar KadastraleKaart Pro
hxAuRzpZtMH dz14o6Upgrade naar KadastraleKaart Pro
uXg4S scklUpgrade naar KadastraleKaart Pro
p59dd9Vf8muDx TXErSnIXUpgrade naar KadastraleKaart Pro
CpmP8g 6jshUpgrade naar KadastraleKaart Pro
K7C8rYwRYUpgrade naar KadastraleKaart Pro
Ps2lJOZJ4kLv792O29AUpgrade naar KadastraleKaart Pro
13/07/2023

Percelen
Gebruik de zoekbalk of klik op een perceel om informatie over het perceel te bekijken.