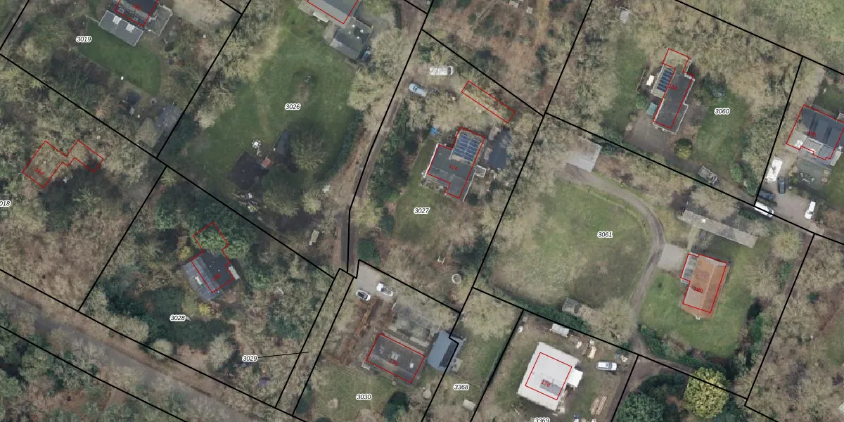
Perceel: HNO01-B-3027
KadastraleKaart.com kan meer dan je denktOntdek meer ›
Filter op bestemming 50+ datasets Eigendomsdata in één klik Percelen CRM
1.795 m2 - 181 m
Eigenaar opvragen
HNO01-B-3027 (Heino)
- 8141 MD
szCOxvzocY n9QQh2Upgrade naar KadastraleKaart Pro
Verkoopprijs opvragen
Bekijk op Street View
Download DWG/DXF/Excel
nhy 2 4N6YUpgrade naar KadastraleKaart Pro
3lk455TEr M3GUpgrade naar KadastraleKaart Pro
4H8fxeeZ4KC DCvX0iUpgrade naar KadastraleKaart Pro
zA4Q1mh OKT4bsn4lRUpgrade naar KadastraleKaart Pro
jRszxWNOUpgrade naar KadastraleKaart Pro
vVRQ28vy WOUHUpgrade naar KadastraleKaart Pro
pCuWKjMbFnkNDQ NZUpgrade naar KadastraleKaart Pro
up53f7LmZ7lUzP6icOY3RQfUpgrade naar KadastraleKaart Pro
tpTBJKSWnsBNf1ar K3CQMnUpgrade naar KadastraleKaart Pro
Z35U3b2C7N7rCRxQhMBOUpgrade naar KadastraleKaart Pro
08/12/2005

Percelen
Gebruik de zoekbalk of klik op een perceel om informatie over het perceel te bekijken.