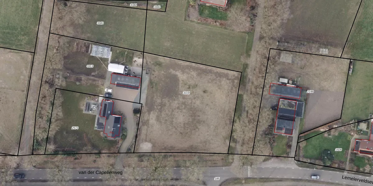
Perceel: HNO01-B-3314
KadastraleKaart.com kan meer dan je denktOntdek meer ›
Filter op bestemming 50+ datasets Eigendomsdata in één klik Percelen CRM
Geen adressen bij dit perceel
2.550 m2 - 204 m
Eigenaar opvragen
HNO01-B-3314 (Heino)
- Geen postcode aanwezig
O6y0 7bJYItxr kTlZgF5BSa shLUpgrade naar KadastraleKaart Pro
Bekijk op Street View
Download DWG/DXF/Excel
pnYr74fDo22PUpgrade naar KadastraleKaart Pro
AqEiGHqSAg9Upgrade naar KadastraleKaart Pro
W0rQcUfNc1GcS16QHtesUpgrade naar KadastraleKaart Pro
Uc pTjddPFU2IVk9Upgrade naar KadastraleKaart Pro
JZP5FppgNsUpgrade naar KadastraleKaart Pro
Gy51UR4nIUpgrade naar KadastraleKaart Pro
Y3JVq fAUpgrade naar KadastraleKaart Pro
7JTG9etXx8W4 MK01PUpgrade naar KadastraleKaart Pro
gbP4Wm SKZUzUpgrade naar KadastraleKaart Pro
WVu9nP4UmPN bVMySW rUpgrade naar KadastraleKaart Pro
02/03/2012

Percelen
Gebruik de zoekbalk of klik op een perceel om informatie over het perceel te bekijken.