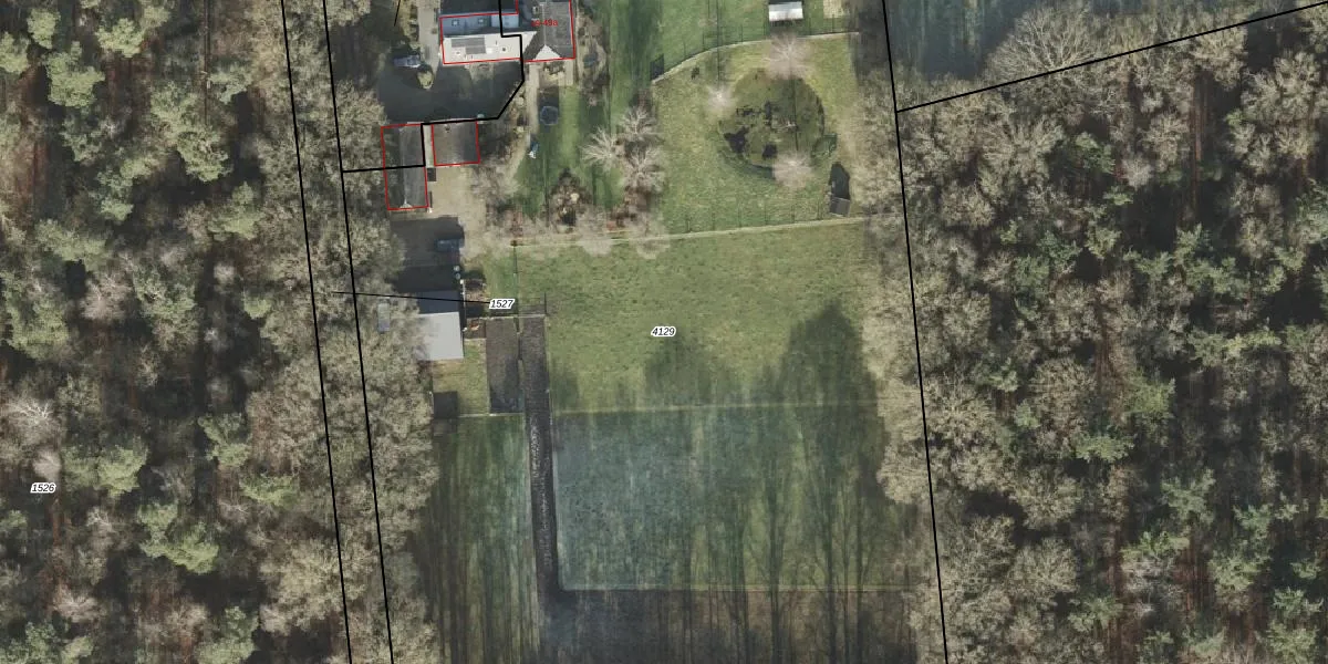
Perceel: HNO01-C-4129
9.620 m2 - 472 m
Eigenaar opvragen
HNO01-C-4129 (Heino)
- 8141 RT
Lw1 bbDlyW0LuvjF8ncnUT d54WJTqUpgrade naar KadastraleKaart Pro
Verkoopprijs opvragen
Bekijk op Street View
Download DWG/DXF/Excel
Qjf34FxUKUpgrade naar KadastraleKaart Pro
vFuP X8qdUpgrade naar KadastraleKaart Pro
4dKzJd1sbbky18 Upgrade naar KadastraleKaart Pro
BBa8qU866eezDPMxUpgrade naar KadastraleKaart Pro
xnIJhMVogFa6ohZTyUpgrade naar KadastraleKaart Pro
q 525mhzzfe0Upgrade naar KadastraleKaart Pro
5Jzr21aMHmCelUpgrade naar KadastraleKaart Pro
I9ds oD 0iKapUpgrade naar KadastraleKaart Pro
MrJiAyDAUpgrade naar KadastraleKaart Pro
zf0wL2QXI j1yMe2pWbUpgrade naar KadastraleKaart Pro
13/03/2006

Percelen
Gebruik de zoekbalk of klik op een perceel om informatie over het perceel te bekijken.