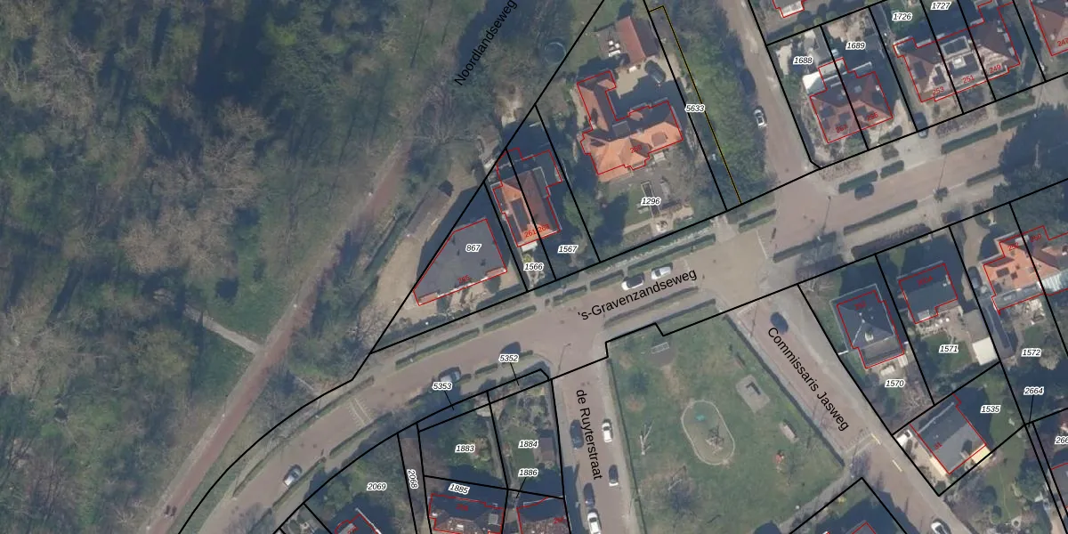
Perceel: HOE01-B-1566
KadastraleKaart.com kan meer dan je denktOntdek meer ›
Filter op bestemming 50+ datasets Eigendomsdata in één klik Percelen CRM
140 m2 - 62 m
Eigenaar opvragen
HOE01-B-1566 (Hoek van Holland)
- 3151 TT
tDK68pod0lbBuZpu0 ciUpgrade naar KadastraleKaart Pro
Bekijk op Street View
Download DWG/DXF/Excel
gTEYa o Upgrade naar KadastraleKaart Pro
gLKUJm yUpgrade naar KadastraleKaart Pro
x xOcDIG9znST u7v1Upgrade naar KadastraleKaart Pro
AtZUxWbk2PUpgrade naar KadastraleKaart Pro
8ho cbztKPE2Upgrade naar KadastraleKaart Pro
734VUyVRUpgrade naar KadastraleKaart Pro
eaw66HyQk8l1Z9o 2hGJUpgrade naar KadastraleKaart Pro
R66R8AV CBWUpgrade naar KadastraleKaart Pro
xXBta qTJLS2GTSGQh7G8ZUpgrade naar KadastraleKaart Pro
rzdbLvaifNm gxoUpgrade naar KadastraleKaart Pro
08/06/2010

Percelen
Gebruik de zoekbalk of klik op een perceel om informatie over het perceel te bekijken.