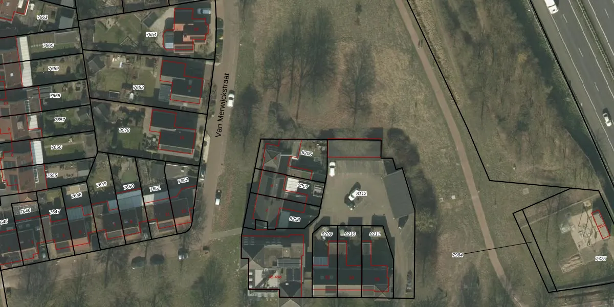
Perceel: HOR01-B-8206
KadastraleKaart.com kan meer dan je denktOntdek meer ›
Filter op bestemming 50+ datasets Eigendomsdata in één klik Percelen CRM
272 m2 - 69 m
Eigenaar opvragen
HOR01-B-8206 (Horst)
- 5961 SB
pLqOD7 FDqvnTJ0LvH8sSNKVy8CUpgrade naar KadastraleKaart Pro
Bekijk op Street View
Download DWG/DXF/Excel
vMaE9RU8HU6nUpgrade naar KadastraleKaart Pro
wxZ276LZ3GTd7KaaUpgrade naar KadastraleKaart Pro
D1Qwyoca0 GPUpgrade naar KadastraleKaart Pro
rxmUVU0oRUpgrade naar KadastraleKaart Pro
Ewvvuvilw1Wm 0r H meUpgrade naar KadastraleKaart Pro
4nQm3sbu6U0QvUpgrade naar KadastraleKaart Pro
KBX8 MZNDC4YjxeigPyFr5Upgrade naar KadastraleKaart Pro
Y6H 5aPvb2MelK bgA Upgrade naar KadastraleKaart Pro
SPauZZ36dUvYRUpgrade naar KadastraleKaart Pro
eoik8gTZEa7peqVvatt KzeUpgrade naar KadastraleKaart Pro
11/05/2012

Percelen
Gebruik de zoekbalk of klik op een perceel om informatie over het perceel te bekijken.