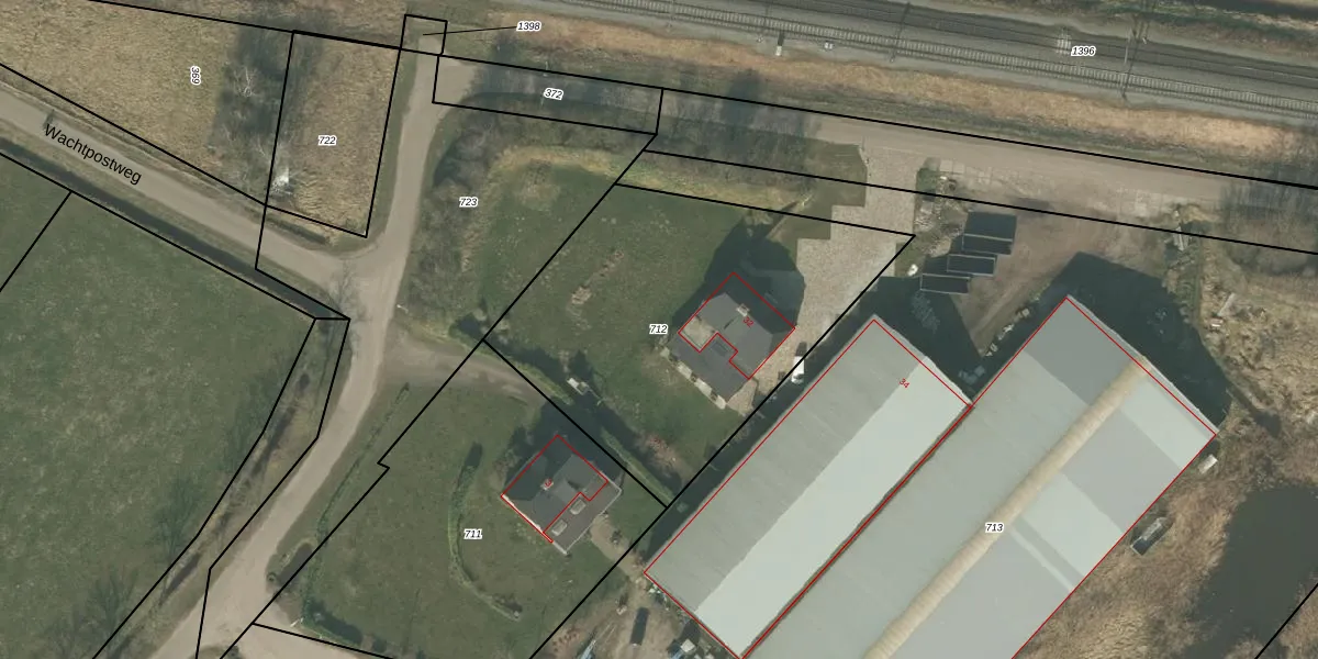
Perceel: HOR01-H-712
KadastraleKaart.com kan meer dan je denktOntdek meer ›
Filter op bestemming 50+ datasets Eigendomsdata in één klik Percelen CRM
1.670 m2 - 171 m
Eigenaar opvragen
HOR01-H-712 (Horst)
- 5966 RR
svbEFsmouGz7L7bV4x9Upgrade naar KadastraleKaart Pro
Verkoopprijs opvragen
Bekijk op Street View
Download DWG/DXF/Excel
whAlrERSOUpgrade naar KadastraleKaart Pro
6meZPlr5nXHKrmIN9ZstUpgrade naar KadastraleKaart Pro
Eu19qnUnrzz1 GFiQWbUpgrade naar KadastraleKaart Pro
uNQlDqux sUpgrade naar KadastraleKaart Pro
egMj yKPSMstYA6mfPEUpgrade naar KadastraleKaart Pro
dcUP0wK1ZYUpgrade naar KadastraleKaart Pro
QZhctGEpYPu FdBwIBb2aVUpgrade naar KadastraleKaart Pro
c1 ayl4 rYW dTq8Y4gL3Upgrade naar KadastraleKaart Pro
bTnE32B wP1yT Rc8DihjUpgrade naar KadastraleKaart Pro
XJc6KeQKZUN0xsmL7hUpgrade naar KadastraleKaart Pro
09/08/2011

Percelen
Gebruik de zoekbalk of klik op een perceel om informatie over het perceel te bekijken.