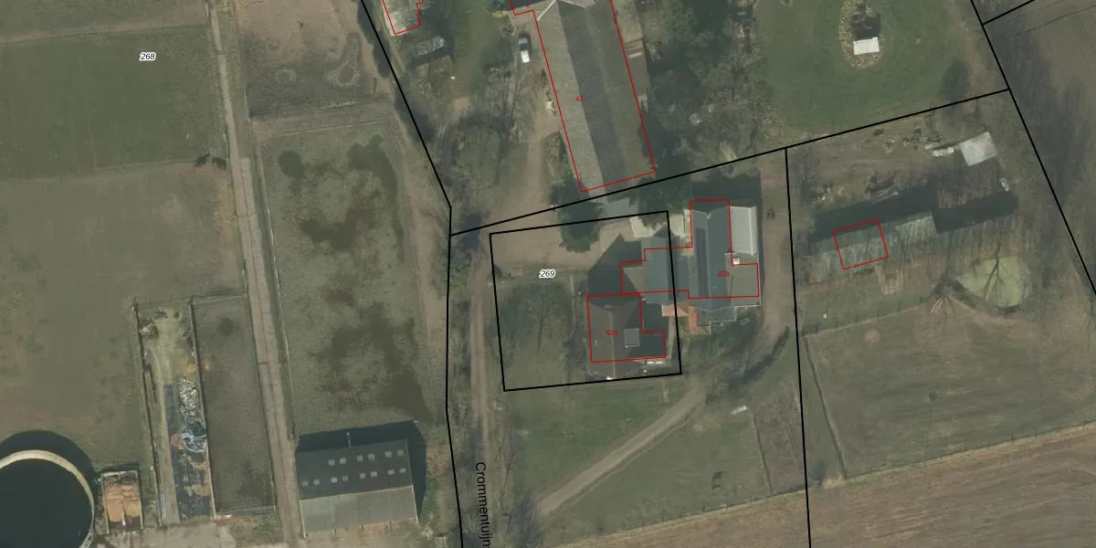
Perceel: HOR01-K-269
KadastraleKaart.com kan meer dan je denktOntdek meer ›
Filter op bestemming 50+ datasets Eigendomsdata in één klik Percelen CRM
960 m2 - 124 m
Eigenaar opvragen
HOR01-K-269 (Horst)
- 5964 NN
RJUGxrspavmNzKowkUpgrade naar KadastraleKaart Pro
Bekijk op Street View
Download DWG/DXF/Excel
tA lABN0aVY7a8ysNUpgrade naar KadastraleKaart Pro
PbTt9ycmCgVXWWrmFUpgrade naar KadastraleKaart Pro
ERDkUTNfBhUpgrade naar KadastraleKaart Pro
JKWFavKEibUpgrade naar KadastraleKaart Pro
9Ys jvLZfRHpUE52DPRUpgrade naar KadastraleKaart Pro
RnSY8e52S3YHH Upgrade naar KadastraleKaart Pro
ga6j3rCZBDUpgrade naar KadastraleKaart Pro
BqoiLmmxI LT7w5qDdUpgrade naar KadastraleKaart Pro
R5pvIZxLM Fz5C m3FDP1Upgrade naar KadastraleKaart Pro
oS T2gSexfmdUlUpgrade naar KadastraleKaart Pro
28/04/2006

Percelen
Gebruik de zoekbalk of klik op een perceel om informatie over het perceel te bekijken.