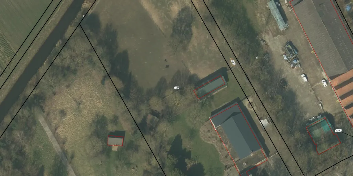
Perceel: HOR01-L-180
KadastraleKaart.com kan meer dan je denktOntdek meer ›
Filter op bestemming 50+ datasets Eigendomsdata in één klik Percelen CRM
9.650 m2 - 442 m
Eigenaar opvragen
HOR01-L-180 (Horst)
- 5966 NE
4 rgRPMPqfCpK fTTiQP603CUpgrade naar KadastraleKaart Pro
Verkoopprijs opvragen
Bekijk op Street View
Download DWG/DXF/Excel
o Z WA0W 6jzZ H ztzO0Upgrade naar KadastraleKaart Pro
VPs6c2ssSRx jC6cC25u3N3Upgrade naar KadastraleKaart Pro
H bLDfnWVLwxVlrHgjBn Upgrade naar KadastraleKaart Pro
Su y8sps2y UGX2Upgrade naar KadastraleKaart Pro
6oycZScNPrUpgrade naar KadastraleKaart Pro
lPvSxizr Upgrade naar KadastraleKaart Pro
dr wc BF tJCUpgrade naar KadastraleKaart Pro
VYy1rveplcibm5fRaQ Upgrade naar KadastraleKaart Pro
NT61gY1np0VXUUpgrade naar KadastraleKaart Pro
In HernY5bwyFGIJYWuUpgrade naar KadastraleKaart Pro
24/04/2006

Percelen
Gebruik de zoekbalk of klik op een perceel om informatie over het perceel te bekijken.