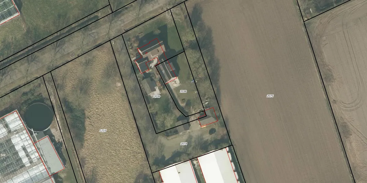
Perceel: HOR01-L-2038
KadastraleKaart.com kan meer dan je denktOntdek meer ›
Filter op bestemming 50+ datasets Eigendomsdata in één klik Percelen CRM
Geen adressen bij dit perceel
487 m2 - 95 m
Eigenaar opvragen
HOR01-L-2038 (Horst)
- Geen postcode aanwezig
wU9ucF lAE7rfX9Vvg2 HKUpgrade naar KadastraleKaart Pro
Bekijk op Street View
Download DWG/DXF/Excel
I0iIg7 5s09MhUMsS7NJDjUpgrade naar KadastraleKaart Pro
1tDq s0XbKiJIABviVG7zUpgrade naar KadastraleKaart Pro
QXDz NLZqYnUpgrade naar KadastraleKaart Pro
1dNhB KUUUDCxUnRkhxtbtOUpgrade naar KadastraleKaart Pro
A 2HoV oIeCFW Upgrade naar KadastraleKaart Pro
dRH7jkYjM1d4UUpgrade naar KadastraleKaart Pro
ravAtq18WEv Y Upgrade naar KadastraleKaart Pro
DF J kh lXH1Upgrade naar KadastraleKaart Pro
xTKjKLi6 7VUpgrade naar KadastraleKaart Pro
jER9uiLbd0j2A 27JfjH0Upgrade naar KadastraleKaart Pro
15/03/2022

Percelen
Gebruik de zoekbalk of klik op een perceel om informatie over het perceel te bekijken.