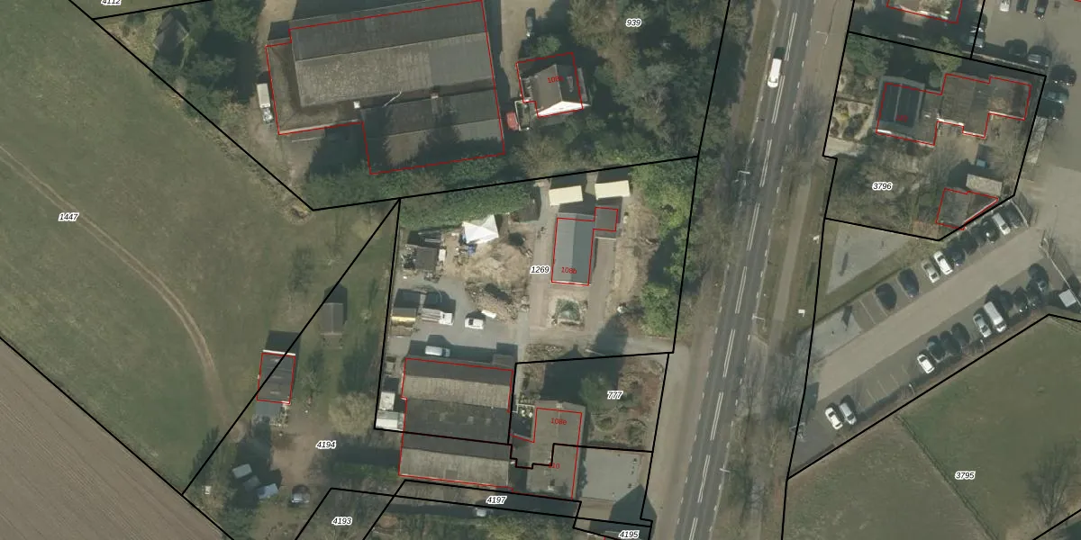
Perceel: HOR01-M-1269
KadastraleKaart.com kan meer dan je denktOntdek meer ›
Filter op bestemming 50+ datasets Eigendomsdata in één klik Percelen CRM
2.165 m2 - 204 m
Eigenaar opvragen
HOR01-M-1269 (Horst)
- 5963 AB
bRyNd2p2UZEhFpgD6VvC9dxZofc7Upgrade naar KadastraleKaart Pro
Bekijk op Street View
Download DWG/DXF/Excel
tgPbeu3eZ7hTQ2fUpgrade naar KadastraleKaart Pro
vS4it gB6Upgrade naar KadastraleKaart Pro
w3b E9iTYiG5 MoqUpgrade naar KadastraleKaart Pro
Iy5LrL ERM3Upgrade naar KadastraleKaart Pro
wApJlbIaYEDFISX7f0wy ZUpgrade naar KadastraleKaart Pro
5RvpVdlwOhSI srUpgrade naar KadastraleKaart Pro
ilLvgGokVLkIBUpgrade naar KadastraleKaart Pro
F C9zDqiftaEKBUUpgrade naar KadastraleKaart Pro
twRIgBrX7hd8a q4MGOMUpgrade naar KadastraleKaart Pro
1T6lOaVPUpgrade naar KadastraleKaart Pro
08/05/2006

Percelen
Gebruik de zoekbalk of klik op een perceel om informatie over het perceel te bekijken.