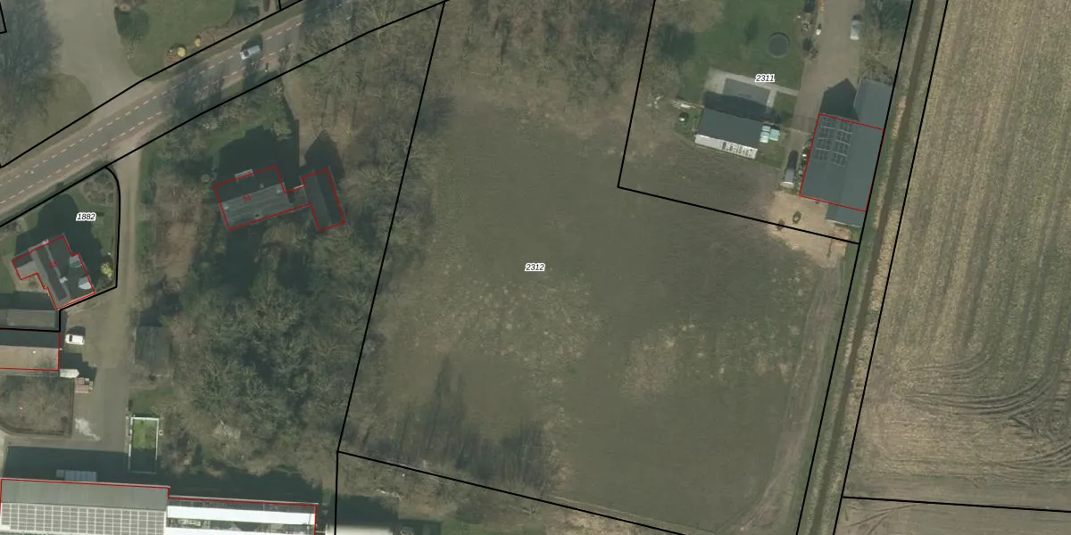
Perceel: HOR01-M-2312
KadastraleKaart.com kan meer dan je denktOntdek meer ›
Filter op bestemming 50+ datasets Eigendomsdata in één klik Percelen CRM
Geen adressen bij dit perceel
6.630 m2 - 378 m
Eigenaar opvragen
HOR01-M-2312 (Horst)
- Geen postcode aanwezig
Fi4mOYSFXnj7Fzoj7Upgrade naar KadastraleKaart Pro
Bekijk op Street View
Download DWG/DXF/Excel
91g3uIbp3lj5I DXUpgrade naar KadastraleKaart Pro
eILXgNJAfgwoUpgrade naar KadastraleKaart Pro
23o1oKhGmhX aToPcfWUpgrade naar KadastraleKaart Pro
U1aL dlmR4JuSpBw ErUpgrade naar KadastraleKaart Pro
wzbYvqz8 pOyhCfQfyURmUpgrade naar KadastraleKaart Pro
uVVbU5w9wA WJH1dfltmUpgrade naar KadastraleKaart Pro
X1NYRe5GS XVOHcLTUpgrade naar KadastraleKaart Pro
iMXYEK yxFsLhTCRZY4 Eg Upgrade naar KadastraleKaart Pro
dGLer4V4k kE ulgUpgrade naar KadastraleKaart Pro
IJi7TtwAoNWRw3KpUpgrade naar KadastraleKaart Pro
16/05/2006

Percelen
Gebruik de zoekbalk of klik op een perceel om informatie over het perceel te bekijken.